warning
error
success
information
ログイン
タイムライン
マイアルバム
アカウント設定
注文履歴
ログアウト
カテゴリから探す
観葉植物
多肉植物・サボテン
ガーデニング
花
家庭菜園
ハーブ
植物の栄養・効能
植物の病気・害虫
植物の種類・品種
雑草
野草・山草
読みもの
植物図鑑
買いもの
投稿
投稿一覧
みどりのまとめ一覧
植物SNS GreenSnap
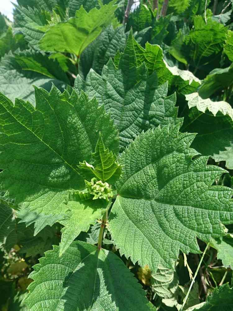
カラムシの投稿画像
鹿島田駅さんのカラムシの投稿画像
カラムシ
いいね
1人
がいいね!
シェア
ツイート
投稿の削除
この投稿を削除しますか?
いいえ
はい
鹿島田駅
2019/06/08
河川敷に生えてました。河原でよく見るこの植物、一体何なのでしょうか?
なな
2019/06/08
名前を教えて!タグに回答しました。
「カラムシ」かも!
いいね
1
返信
鹿島田駅
2019/06/08
@なな
ありがとうございます!
いいね
1
返信
なな
2019/06/08
似たような植物が多いので、間違っていたらごめんなさい😅
いいね
1
返信
投稿する
GreenSnapのおすすめ機能紹介!
【無料で利用できる】写真を撮るだけ!アプリが植物・花の名前を教えてくれる『教えて!カメラ』のご紹介!
開催中のフォトコンテスト
コンテスト一覧
鹿島田駅
植物
カラムシ