warning
error
success
information
ログイン
タイムライン
マイアルバム
アカウント設定
注文履歴
ログアウト
カテゴリから探す
観葉植物
多肉植物・サボテン
ガーデニング
花
家庭菜園
ハーブ
植物の栄養・効能
植物の病気・害虫
植物の種類・品種
雑草
野草・山草
読みもの
植物図鑑
買いもの
投稿
投稿一覧
みどりのまとめ一覧
植物SNS GreenSnap
ミズタマソウ,鎌倉,ひっつき虫の投稿画像
serendipityrumiさんのミズタマソウ,鎌倉,ひっつき虫の投稿画像
いいね
79人
がいいね!
シェア
ツイート
投稿の削除
この投稿を削除しますか?
いいえ
はい
serendipityrumi
2025/10/23
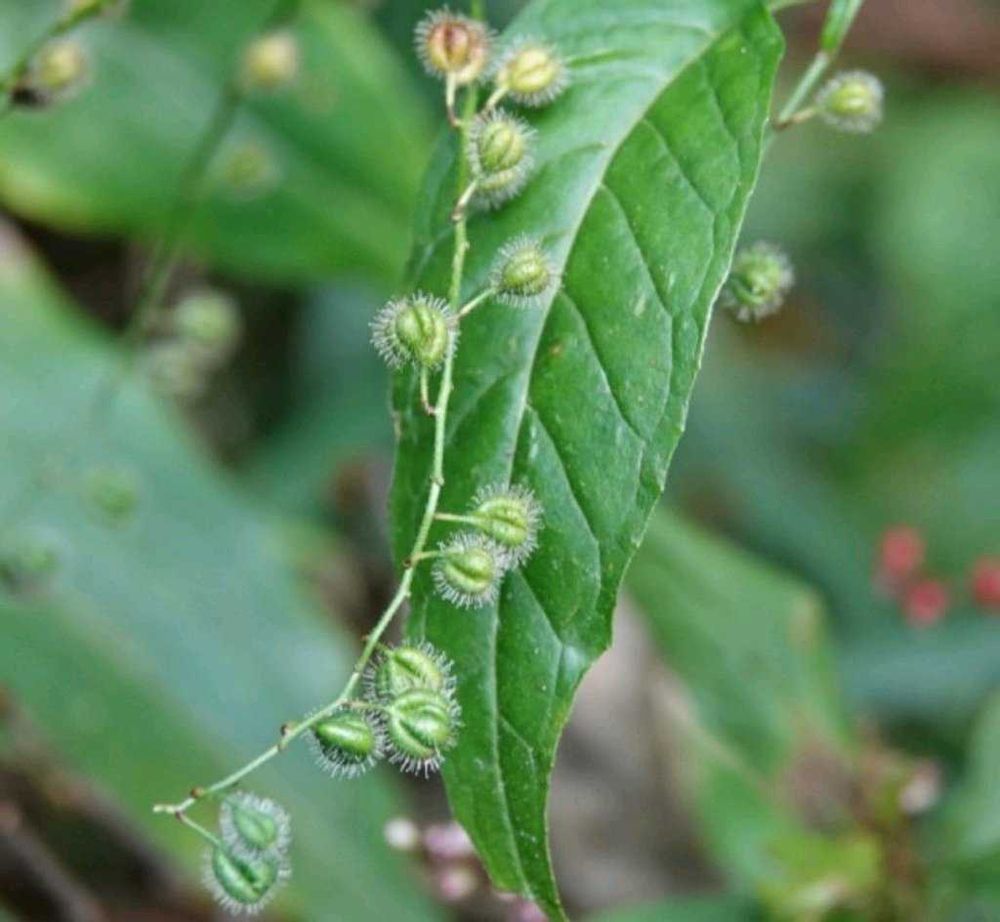
ミズタマソウ(水玉草)
アカバナ科ミズタマソウ属
多年草 在来種
残念ながら花は終わっていました。
小さな丸い果実の白い毛が水玉のように見えることからの命名。
雫をつけると更に綺麗なのですが…
葉は対生、卵状長楕円形、浅い鋸歯があります。
良く似たウシタキソウは全体にもっと毛が多く葉幅ももっと広い。
てぃがー
2025/10/23
ε=ε=(۶⊙∀⊙)۶ ヒャッハー!!
かわいい〜(♡˙︶˙♡)
いいね
1
返信
serendipityrumi
2025/10/23
@てぃがー
さん
可愛いですよね~
白いお花がもっと可愛いのよ♪
8/15にお花も投稿しています。
よろしかったら御覧くださいませ〜♡
いいね
1
返信
投稿する
GreenSnapのおすすめ機能紹介!
【無料で利用できる】写真を撮るだけ!アプリが植物・花の名前を教えてくれる『教えて!カメラ』のご紹介!
開催中のフォトコンテスト
コンテスト一覧
serendipityrumi
2025 11月 プロフィールカバーは 11月に咲いた秋桜畑と向日葵 アイコンはノブドウ 何年も投稿されていない方のフォローを外させて頂きました。 始めた頃の投稿タグに今見ると随分間違いを発見します。 過去の投稿ですので追記と記す事無く気付いた時にキャプションを書換え、訂正することがあることを書き添えておきます。 身の回りのお花達に寄せる思いが写真を通して少しでも伝わると嬉しいです。 植物以外、野鳥、虫、風景等も撮り下記にも投稿しています。 Amebablog 「花々と星々と」 アドレスは期間限定らしく直ぐに消えます。ハンドルネームはGSと同じです
キーワード
鎌倉
ひっつき虫
植物
ミズタマソウ
アカバナ科ミズタマソウ属
多年草 在来種
残念ながら花は終わっていました。
小さな丸い果実の白い毛が水玉のように見えることからの命名。
雫をつけると更に綺麗なのですが…
葉は対生、卵状長楕円形、浅い鋸歯があります。
良く似たウシタキソウは全体にもっと毛が多く葉幅ももっと広い。