warning
error
success
information
ログイン
タイムライン
マイアルバム
アカウント設定
注文履歴
ログアウト
カテゴリから探す
観葉植物
多肉植物・サボテン
ガーデニング
花
家庭菜園
ハーブ
植物の栄養・効能
植物の病気・害虫
植物の種類・品種
雑草
野草・山草
読みもの
植物図鑑
買いもの
投稿
投稿一覧
みどりのまとめ一覧
植物SNS GreenSnap
キハギ,キハギの豆果,キハギの豆果の投稿画像
serendipityrumiさんのキハギ,キハギの豆果,キハギの豆果の投稿画像
キハギの豆果
キハギ
いいね
71人
がいいね!
シェア
ツイート
投稿の削除
この投稿を削除しますか?
いいえ
はい
serendipityrumi
2025/10/13
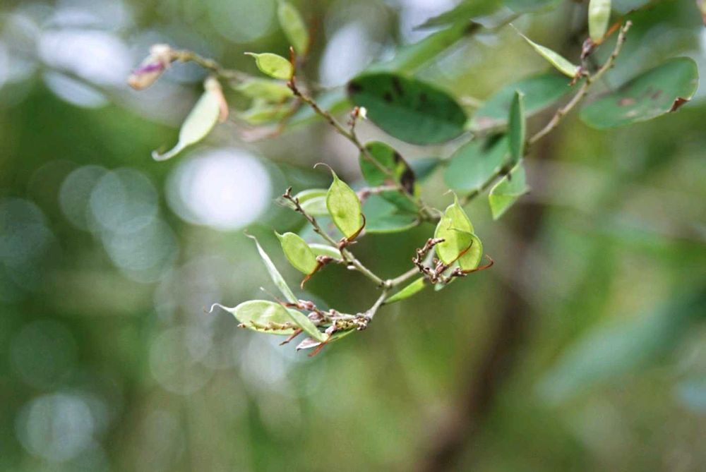
キハギの豆果
昨日投稿したキハギの花
ここ野島では早くから花を見たので、既に可愛い豆果がいっぱいでした。
控え目な小さな豆が可愛いです😊
お花はこの2つきり(5枚目)
Green Mania
2025/10/13
おはようございます☺️🍃🫘☀️
キハギの豆果、とても可愛らしく撮れていますね❣️
私はまだ出逢えたことが無いのですが、実際も、見た目通り、絹さやのようなサイズ感なのでしょうか❓
また、絹さやみたいに塩茹でして食べることはできるのでしょうか❓
気になりました🤭💓💞
盆栽筆柿に寄せたコメントも、ありがとうございました😊🍊🪴✨
いいね
1
返信
serendipityrumi
2025/10/13
@Green Mania
さん
絹さや程もないです。
1〜1、5㌢くらいで、絹さやの赤ちゃんといったところ。可愛くて思わずカメラを向けました。
豆果は食用ではないようです。
キハギを盆栽にしたら、可愛い豆果が見られるかも知れませんね!
いつも御覧下さり、御質問まで
ありがとうございます😊
いいね
1
返信
Green Mania
2025/10/13
@serendipityrumi
様
まぁ❣️
そんなに小さな赤ちゃんのような可愛い豆果でしたか🫛✨
詳しく教えて頂きありがとうございました😊🙏💞
こちらこそ、いつもserendipityrumi様の切り取る優しい植物の風景に心和み、新しい発見や感動をシェア頂き、感謝しております❣️
また、楽しみに拝見させて下さいね🌈🕊️
いいね
1
返信
うさこ
2025/10/13
キハギは江戸っぽくて粋ですけどマメ🫛小さくてかわいいです♡マメ科のマメ🫛も好き♬
いいね
1
返信
serendipityrumi
2025/10/13
@Green Mania
さん
ありがとうございます😘💕
いいね
1
返信
serendipityrumi
2025/10/13
@うさこ
さん
凄く小さくて可愛いです♡
子供の頃出会っていたら絶対、摘んでおままごとに使ったわね😉
いいね
1
返信
うさこ
2025/10/13
@serendipityrumi
さんへ
ですねー!カラスノエンドウかスズメノエンドウでしたねー♬
いいね
1
返信
投稿する
GreenSnapのおすすめ機能紹介!
【無料で利用できる】写真を撮るだけ!アプリが植物・花の名前を教えてくれる『教えて!カメラ』のご紹介!
開催中のフォトコンテスト
コンテスト一覧
serendipityrumi
2025 11月 プロフィールカバーは 11月に咲いた秋桜畑と向日葵 アイコンはノブドウ 何年も投稿されていない方のフォローを外させて頂きました。 始めた頃の投稿タグに今見ると随分間違いを発見します。 過去の投稿ですので追記と記す事無く気付いた時にキャプションを書換え、訂正することがあることを書き添えておきます。 身の回りのお花達に寄せる思いが写真を通して少しでも伝わると嬉しいです。 植物以外、野鳥、虫、風景等も撮り下記にも投稿しています。 Amebablog 「花々と星々と」 アドレスは期間限定らしく直ぐに消えます。ハンドルネームはGSと同じです
キーワード
朝の散歩
横浜金沢区野島
植物
キハギ
キハギの豆果
キハギの豆果
昨日投稿したキハギの花
ここ野島では早くから花を見たので、既に可愛い豆果がいっぱいでした。
控え目な小さな豆が可愛いです😊
お花はこの2つきり(5枚目)