warning
error
success
information
ログイン
タイムライン
マイアルバム
アカウント設定
注文履歴
ログアウト
カテゴリから探す
観葉植物
多肉植物・サボテン
ガーデニング
花
家庭菜園
ハーブ
植物の栄養・効能
植物の病気・害虫
植物の種類・品種
雑草
野草・山草
読みもの
植物図鑑
買いもの
投稿
投稿一覧
みどりのまとめ一覧
植物SNS GreenSnap
ツルボ,ツルボ,ツルボの投稿画像
まあさんのツルボ,ツルボ,ツルボの投稿画像
ツルボ
ツルボ
ツルボ
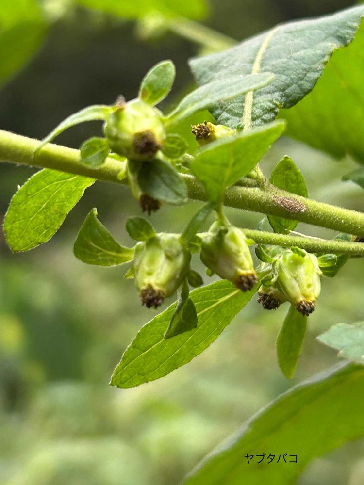
ヤブタバコ
ヤブタバコ
いいね
130人
がいいね!
シェア
ツイート
投稿の削除
この投稿を削除しますか?
いいえ
はい
まあ
2025/09/29
1️⃣〜3️⃣ツルボ 蔓穂
薄い紫から濃い目の紫まで色幅があるのですね
4️⃣5️⃣ヤブタバコ 薮煙草
わすれなぐさ
2025/09/29
こんばんは🙂
ヤブタバコ少し草むらを超えると見られるのですがずっと見ていないような😅
まさかまあさんの投稿で見られるとは嬉しいです🫢
ツルボは植栽されたものなのでしょうねこちらは見たことありませんが気になるお花です🩵
いいね
1
返信
まあ
2025/09/30
@わすれなぐさ
さん
おはようございます😃
ツルボは道路脇に咲いていたお花たちです
綺麗ですねぇ〜💓
この季節になるとあちらこちらにポツポツ立っています🌸
ヤブタバコは緑地の通り道にはみ出してました。お花は終わったのかな?黄色が全く見えませんでした😞
見かけたのは何年か振り!
嬉しかったです🥰
いいね
1
返信
わすれなぐさ
2025/09/30
@まあ
さん
おはようございます🙂
こちらではツルボはあまり見かけないので冬越しができないのかもしれませんね
ヤブタバコは花後かもしれませんね
残念ですがまた見られる時まで楽しみにしましょう😌
いいね
1
返信
投稿する
GreenSnapのおすすめ機能紹介!
【無料で利用できる】写真を撮るだけ!アプリが植物・花の名前を教えてくれる『教えて!カメラ』のご紹介!
開催中のフォトコンテスト
コンテスト一覧
まあ
🌸🌱🐞🦉🪴 お立ち寄りいただきありがとうございます😊 散歩道や小さな庭で育てている植物🪴みてね!
キーワード
いつもありがとう
野草 山野草
☆携帯撮影☆
植物
ツルボ
ツルボ
ツルボ
ツルボ
ヤブタバコ
ヤブタバコ
ヤブタバコ
薄い紫から濃い目の紫まで色幅があるのですね
4️⃣5️⃣ヤブタバコ 薮煙草