warning
error
success
information
ログイン
タイムライン
マイアルバム
アカウント設定
注文履歴
ログアウト
カテゴリから探す
観葉植物
多肉植物・サボテン
ガーデニング
花
家庭菜園
ハーブ
植物の栄養・効能
植物の病気・害虫
植物の種類・品種
雑草
野草・山草
読みもの
植物図鑑
買いもの
投稿
投稿一覧
みどりのまとめ一覧
植物SNS GreenSnap
アオツヅラフジ,アオツヅラフジの投稿画像
serendipityrumiさんのアオツヅラフジ,アオツヅラフジの投稿画像
アオツヅラフジ
いいね
72人
がいいね!
シェア
ツイート
投稿の削除
この投稿を削除しますか?
いいえ
はい
serendipityrumi
2025/09/06
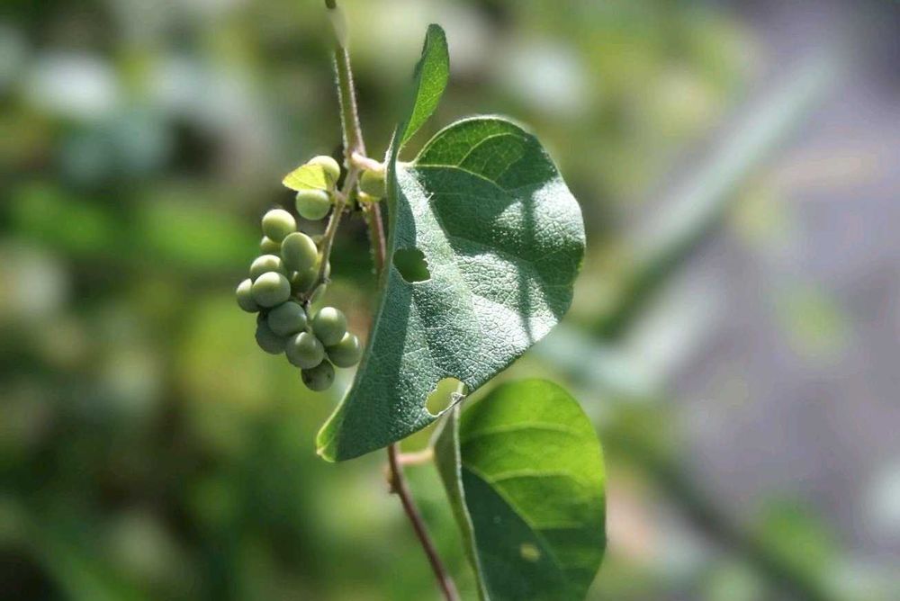
アオツヅラフジ(青葛藤)
ツヅラフジ科アオツヅラフジ属 雌雄異株
落葉蔓性木本 在来種
葉は互生で、葉の形はなかなか変化が多い。
既にブドウのような実をつけた物や、未だ花盛りも多い。
5枚目は虫がいます。嫌いな方はスルーして下さい。ヒメエグリバの幼虫です。
アオツヅラフジを食草にしている蛾の仲間。成虫は梨や桃の実を吸蜜する害虫らしいけど、ここは道端。近くには梨も桃も無い。
うさこ
2025/09/06
郵便局裏の道路面フェンスに絡まってたのに根本から刈られてサツマイモ畑になってしまいました 道路の隙間に零れ種から生えた葉っぱががんばって伸びています 蛍光カラーみたいなイモムシ嫌いじゃないです♪実がなる前に草刈り隊に遭うだろうな
いいね
1
返信
serendipityrumi
2025/09/06
@うさこ
さん
アオツヅラフジよりサツマイモは人間様の役に立つから、仕方ないですね!
野草を愛でるのは単に好みの問題だもの。
なんとか草刈り隊より長生きして欲しいですね🤗
いいね
1
返信
うさこ
2025/09/06
@serendipityrumi
さんへ
実を取ってうちにお連れしたけど大きくなりません 鉢植えの限界?
いいね
1
返信
serendipityrumi
2025/09/06
@うさこ
さん
鉢では収まりきれないのかしら!?
いいね
1
返信
うさこ
2025/09/06
@serendipityrumi
さんへ
鉢、小さいから💦小さい鉢植えがいっぱいあります もう少し大きい鉢植えに植え替えないとダメかな
いいね
1
返信
serendipityrumi
2025/09/06
@うさこ
さん
私は育てるの下手だからなんともお答え出来ないけど、鉢は小さすぎても大きすぎても駄目と言われましたけど、紫陽花の植え替えの時には😅
いいね
1
返信
投稿する
GreenSnapのおすすめ機能紹介!
【無料で利用できる】写真を撮るだけ!アプリが植物・花の名前を教えてくれる『教えて!カメラ』のご紹介!
開催中のフォトコンテスト
コンテスト一覧
serendipityrumi
2025 11月 プロフィールカバーは 11月に咲いた秋桜畑と向日葵 アイコンはノブドウ 何年も投稿されていない方のフォローを外させて頂きました。 始めた頃の投稿タグに今見ると随分間違いを発見します。 過去の投稿ですので追記と記す事無く気付いた時にキャプションを書換え、訂正することがあることを書き添えておきます。 身の回りのお花達に寄せる思いが写真を通して少しでも伝わると嬉しいです。 植物以外、野鳥、虫、風景等も撮り下記にも投稿しています。 Amebablog 「花々と星々と」 アドレスは期間限定らしく直ぐに消えます。ハンドルネームはGSと同じです
植物
アオツヅラフジ
アオツヅラフジ
ツヅラフジ科アオツヅラフジ属 雌雄異株
落葉蔓性木本 在来種
葉は互生で、葉の形はなかなか変化が多い。
既にブドウのような実をつけた物や、未だ花盛りも多い。
5枚目は虫がいます。嫌いな方はスルーして下さい。ヒメエグリバの幼虫です。
アオツヅラフジを食草にしている蛾の仲間。成虫は梨や桃の実を吸蜜する害虫らしいけど、ここは道端。近くには梨も桃も無い。