warning
error
success
information
ログイン
タイムライン
マイアルバム
アカウント設定
注文履歴
ログアウト
カテゴリから探す
観葉植物
多肉植物・サボテン
ガーデニング
花
家庭菜園
ハーブ
植物の栄養・効能
植物の病気・害虫
植物の種類・品種
雑草
野草・山草
読みもの
植物図鑑
買いもの
投稿
投稿一覧
みどりのまとめ一覧
植物SNS GreenSnap
庭,アシタバ(明日葉),アシタバ(明日葉)の投稿画像
茶々さんの庭,アシタバ(明日葉),アシタバ(明日葉)の投稿画像
アシタバ(明日葉)
アシタバ(明日葉)
アシタバ(明日葉)
アシタバ(明日葉)
いいね
64人
がいいね!
シェア
ツイート
投稿の削除
この投稿を削除しますか?
いいえ
はい
茶々
2025/09/05
お昼前後に台風通過…⚡🌀☔
この辺は一時的な通行止めはありましたが💦大きな被害無く安心しました。
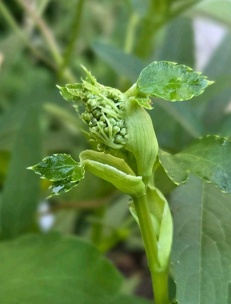
明日葉の葉🌿と蕾💚
以前、社員旅行で行った伊豆大島で食べた明日葉料理🌿
また食べたいと思い苗を植え…
な、なんと…こんな蕾から花が咲くのですね😊♪
投稿する
GreenSnapのおすすめ機能紹介!
【無料で利用できる】写真を撮るだけ!アプリが植物・花の名前を教えてくれる『教えて!カメラ』のご紹介!
開催中のフォトコンテスト
コンテスト一覧
茶々
携帯故障…携帯機種変更で再出発です
場所
庭
キーワード
初めまして
ちっちゃいものクラブ
金曜日の蕾たち
スライドショー♪
φ( •ω•́ )フムフム...ヘムヘム レンレン
植物
アシタバ(明日葉)
アシタバ(明日葉)
アシタバ(明日葉)
アシタバ(明日葉)
この辺は一時的な通行止めはありましたが💦大きな被害無く安心しました。
明日葉の葉🌿と蕾💚
以前、社員旅行で行った伊豆大島で食べた明日葉料理🌿
また食べたいと思い苗を植え…
な、なんと…こんな蕾から花が咲くのですね😊♪