warning
error
success
information
ログイン
タイムライン
マイアルバム
アカウント設定
注文履歴
ログアウト
カテゴリから探す
観葉植物
多肉植物・サボテン
ガーデニング
花
家庭菜園
ハーブ
植物の栄養・効能
植物の病気・害虫
植物の種類・品種
雑草
野草・山草
読みもの
植物図鑑
買いもの
投稿
投稿一覧
みどりのまとめ一覧
植物SNS GreenSnap
アオツヅラフジの実,かわいい実,クリーム色の花の投稿画像
あんぱんさんのアオツヅラフジの実,かわいい実,クリーム色の花の投稿画像
アオツヅラフジの実
いいね
38人
がいいね!
シェア
ツイート
投稿の削除
この投稿を削除しますか?
いいえ
はい
あんぱん
2025/08/18
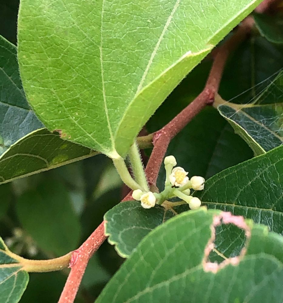
①②青ツヅラフジ🌱 御用水跡街園
🌼🟢花と若い実、、柵越し(╹◡╹)♡
投稿する
GreenSnapのおすすめ機能紹介!
【無料で利用できる】写真を撮るだけ!アプリが植物・花の名前を教えてくれる『教えて!カメラ』のご紹介!
開催中のフォトコンテスト
コンテスト一覧
あんぱん
狭すぎる庭で🌸、ぼーっと活きてます😁😁 こっそりフォローするかも👀🙇♀️ 読書📖、水彩画🧑🎨も楽しい
キーワード
かわいい実
クリーム色の花
暑い朝
御用水跡街園散歩道
植物
アオツヅラフジの実
🌼🟢花と若い実、、柵越し(╹◡╹)♡