warning
error
success
information
ログイン
タイムライン
マイアルバム
アカウント設定
注文履歴
ログアウト
カテゴリから探す
観葉植物
多肉植物・サボテン
ガーデニング
花
家庭菜園
ハーブ
植物の栄養・効能
植物の病気・害虫
植物の種類・品種
雑草
野草・山草
読みもの
植物図鑑
買いもの
投稿
投稿一覧
みどりのまとめ一覧
植物SNS GreenSnap
イヌビワ,クワ科,不忍池の投稿画像
はるるさんのイヌビワ,クワ科,不忍池の投稿画像
イヌビワ
いいね
76人
がいいね!
シェア
ツイート
投稿の削除
この投稿を削除しますか?
いいえ
はい
はるる
2025/07/14
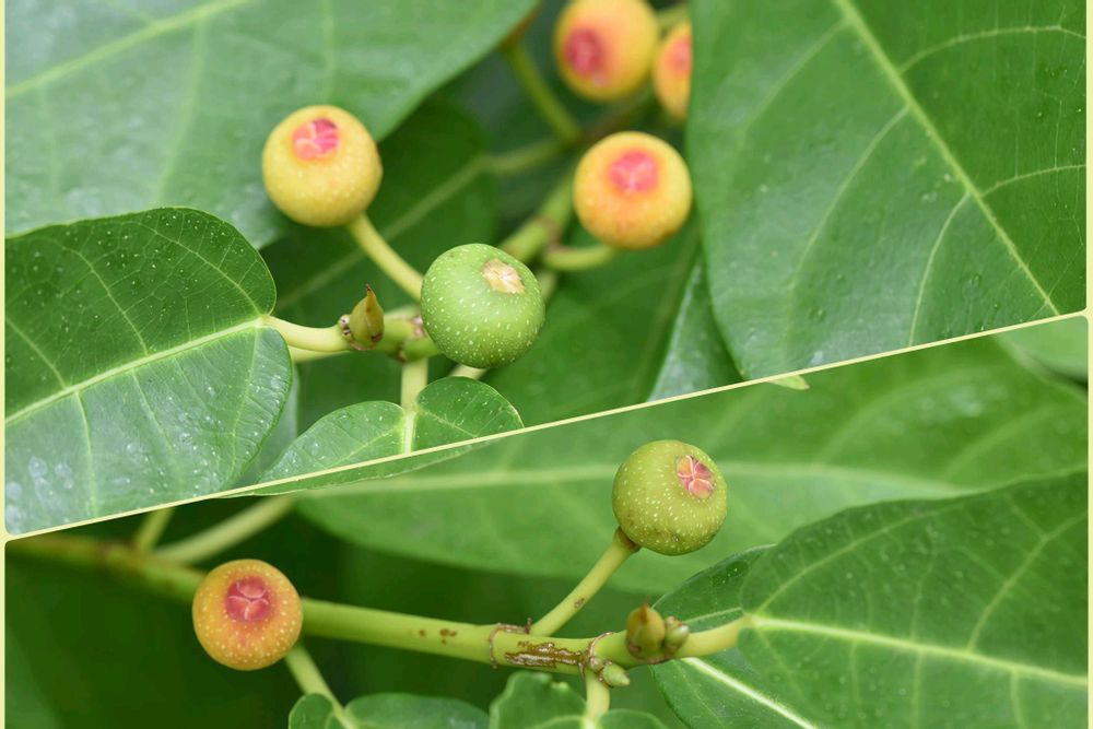
★イヌビワ(犬枇杷)★
クワ科の落葉低木
花期:4〜5月
果期:10〜11月
別名:ヤマビワ、イタビ、姫枇杷
雌雄異株。花は花嚢の中に隠れて咲く。葉は狭い倒卵形〜長楕円形。
6.29投稿のホソバイヌビワと同じく、2cmほどの果実で、これまた、ちっちゃなイチジクのようでした🤗
2025.7.4 上野不忍池にて📷️
投稿する
GreenSnapのおすすめ機能紹介!
【無料で利用できる】写真を撮るだけ!アプリが植物・花の名前を教えてくれる『教えて!カメラ』のご紹介!
開催中のフォトコンテスト
コンテスト一覧
はるる
★マイペースで投稿してます★ 花とカメラとハイキング、お裁縫+韓ドラ鑑賞が趣味なおばちゃんです。花の写真を撮るのは好きですが、名前はよく知りません。 ※現在、リアルが多忙な為、不定期投稿です。たまにコメント欄も閉じさせてもらってます。なので、皆さまの投稿も見させてもらってますが、イイねだけで申し訳ありません(。-人-。) 2018.04.16 初投稿 GS8年生になりました。 2025.5.24 更新
キーワード
クワ科
不忍池
植物
イヌビワ
クワ科の落葉低木
花期:4〜5月
果期:10〜11月
別名:ヤマビワ、イタビ、姫枇杷
雌雄異株。花は花嚢の中に隠れて咲く。葉は狭い倒卵形〜長楕円形。
6.29投稿のホソバイヌビワと同じく、2cmほどの果実で、これまた、ちっちゃなイチジクのようでした🤗
2025.7.4 上野不忍池にて📷️