warning
error
success
information
ログイン
タイムライン
マイアルバム
アカウント設定
注文履歴
ログアウト
カテゴリから探す
観葉植物
多肉植物・サボテン
ガーデニング
花
家庭菜園
ハーブ
植物の栄養・効能
植物の病気・害虫
植物の種類・品種
雑草
野草・山草
読みもの
植物図鑑
買いもの
投稿
投稿一覧
みどりのまとめ一覧
植物SNS GreenSnap
赤肉ネットメロン,白イチジク ホワイトイスキア,赤肉西瓜の投稿画像
Hadesさんの赤肉ネットメロン,白イチジク ホワイトイスキア,赤肉西瓜の投稿画像
いいね
18人
がいいね!
シェア
ツイート
投稿の削除
この投稿を削除しますか?
いいえ
はい
Hades
2025/07/06
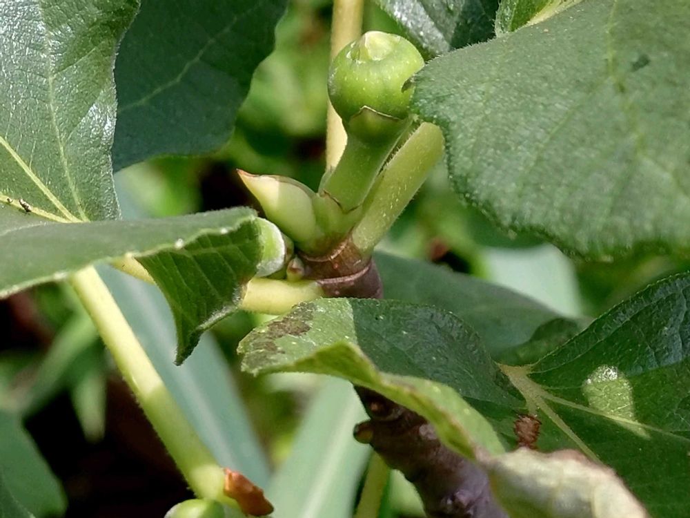
露地ものの果物達
メロン🍈やっとこの暑さもあってか高温障害なのか成長ゆっくりやったけど花盛りになってきて実も付き始めたよ!
サポーターの御蔭もあるだろうけどね(^_^;)💦メロン🍈、西瓜🍉、ホワイトイスキアも夏の実が少し付き始めたよ!
投稿する
GreenSnapのおすすめ機能紹介!
【無料で利用できる】写真を撮るだけ!アプリが植物・花の名前を教えてくれる『教えて!カメラ』のご紹介!
開催中のフォトコンテスト
コンテスト一覧
Hades
キーワード
白イチジク ホワイトイスキア
赤肉西瓜
緑肉ネットメロン
夏秋用の無花果
植物
赤肉ネットメロン
メロン🍈やっとこの暑さもあってか高温障害なのか成長ゆっくりやったけど花盛りになってきて実も付き始めたよ!
サポーターの御蔭もあるだろうけどね(^_^;)💦メロン🍈、西瓜🍉、ホワイトイスキアも夏の実が少し付き始めたよ!