warning
error
success
information
ログイン
タイムライン
マイアルバム
アカウント設定
注文履歴
ログアウト
カテゴリから探す
観葉植物
多肉植物・サボテン
ガーデニング
花
家庭菜園
ハーブ
植物の栄養・効能
植物の病気・害虫
植物の種類・品種
雑草
野草・山草
読みもの
植物図鑑
買いもの
投稿
投稿一覧
みどりのまとめ一覧
植物SNS GreenSnap
家庭菜園
収穫物
畑
畑,オニナスビ(ワルナスビ)の投稿画像
ウッチーさんの畑,オニナスビ(ワルナスビ)の投稿画像
オニナスビ(ワルナスビ)
いいね
62人
がいいね!
シェア
ツイート
投稿の削除
この投稿を削除しますか?
いいえ
はい
ウッチー
2018/08/25
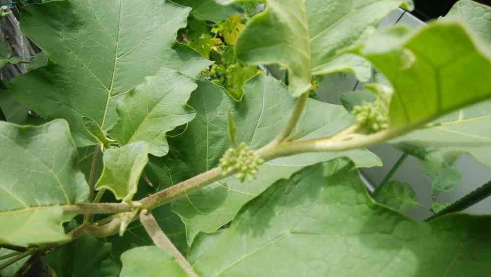
なんの葉っぱ😅⁉️
ウッチー
2018/08/25
なすのとなりに一メートルくらいの🌿が生えてます。蕾らしきもの発見。野菜でしょうか、教えて下さい
いいね
0
返信
ひまこ
2018/08/25
名前を教えて!タグに回答しました。
「オニナスビ(ワルナスビ)」かも!
いいね
1
返信
ウッチー
2018/08/25
@ひまこ
さん回答ありがとうございます。オニナスビ、ナスビの🍆仲間でしょうか、花と実を楽しみにしてます💕
いいね
0
返信
ウッチー
2018/08/25
@ひまこ
さん、調べてみました。やっかいな雑草とのことでしたね!名前が分かりすっきりしました😊
いいね
1
返信
ひまこ
2018/08/25
@ウッチー
さんへ
外来種で駆除の対象
しつこいのよね
いいね
1
返信
投稿する
GreenSnapのおすすめ機能紹介!
【無料で利用できる】写真を撮るだけ!アプリが植物・花の名前を教えてくれる『教えて!カメラ』のご紹介!
畑に関連するカテゴリ
ベランダ
トマト
キュウリ
ナス
開催中のフォトコンテスト
コンテスト一覧
畑の関連コラム
PR
2021.02.05
カインズが提案するひとコマ菜園とは?
畑の関連コラムをもっとみる
ウッチー
お花を育てたり生けたり大好きです💕
場所
畑
植物
オニナスビ(ワルナスビ)