warning
error
success
information
ログイン
タイムライン
マイアルバム
アカウント設定
注文履歴
ログアウト
カテゴリから探す
観葉植物
多肉植物・サボテン
ガーデニング
花
家庭菜園
ハーブ
植物の栄養・効能
植物の病気・害虫
植物の種類・品種
雑草
野草・山草
読みもの
植物図鑑
買いもの
投稿
投稿一覧
みどりのまとめ一覧
ゆーりんK2さんの投稿画像
いいね
14人
がいいね!
シェア
ツイート
投稿の削除
この投稿を削除しますか?
いいえ
はい
ゆーりんK2
2025/04/13
雨上がりの庭の様子
①茄子の苗🌱🍆倒れてないない❣️😁👍(昨日植えたよ)
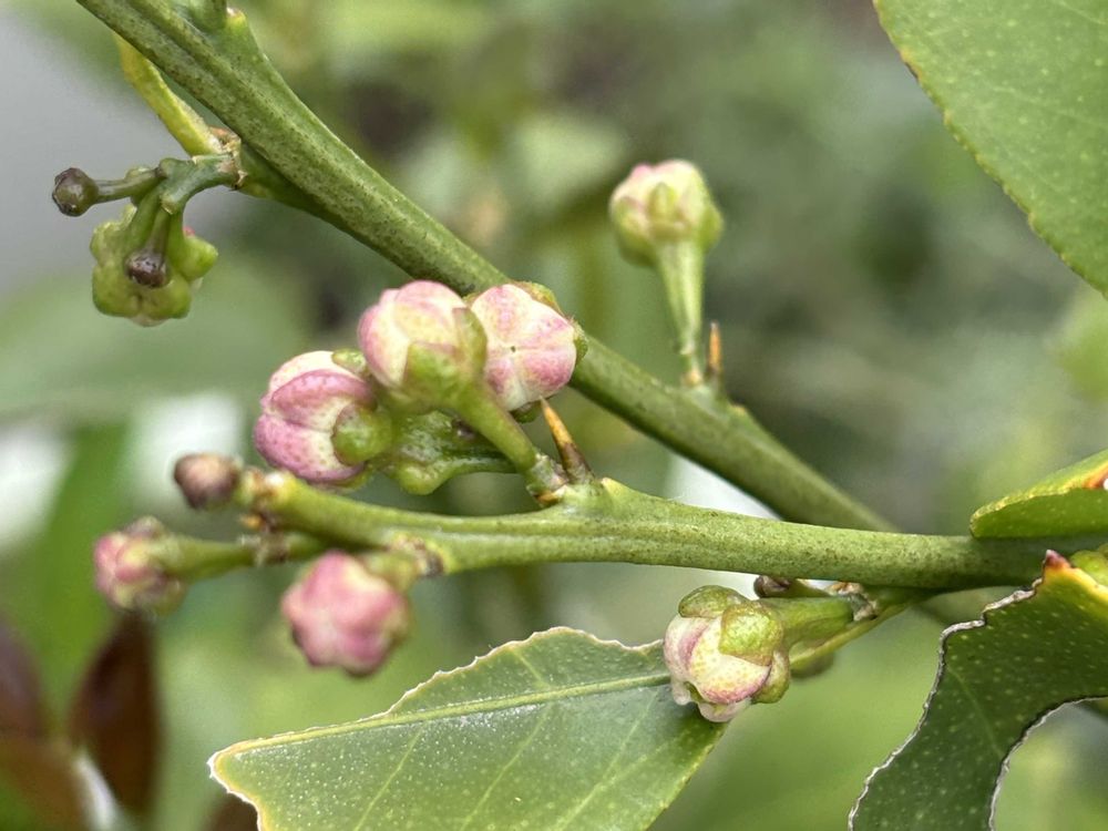
②🍋の蕾
③🍒の蕾
④🍓の蕾
⑤生え放題のハハコグサ
庭の花たちは、とりあえず大丈夫でした。公園の桜🌸の花びらは
散ってしまいました
投稿する
GreenSnapのおすすめ機能紹介!
【無料で利用できる】写真を撮るだけ!アプリが植物・花の名前を教えてくれる『教えて!カメラ』のご紹介!
開催中のフォトコンテスト
コンテスト一覧
ゆーりんK2
お花、特に野花が大好きです😚🎶🍀たんぽぽ、ひめじぉん、コスモス、つくし、クローバー🍀お花の育て方もたまに勉強して、毎年ひょっこり咲いてくれる花にも😽💕感謝しています🍀🌸🌷種、球根、やっとわかるようになってきました。皆さんの写真を見たり、この場所が、楽しみです♪ よろしくお願い致します🌷😸🐶ちなみに動物も大好きです。小鳥も渡り鳥も😽💕
①茄子の苗🌱🍆倒れてないない❣️😁👍(昨日植えたよ)
②🍋の蕾
③🍒の蕾
④🍓の蕾
⑤生え放題のハハコグサ
庭の花たちは、とりあえず大丈夫でした。公園の桜🌸の花びらは
散ってしまいました