warning
error
success
information
ログイン
タイムライン
マイアルバム
アカウント設定
注文履歴
ログアウト
カテゴリから探す
観葉植物
多肉植物・サボテン
ガーデニング
花
家庭菜園
ハーブ
植物の栄養・効能
植物の病気・害虫
植物の種類・品種
雑草
野草・山草
読みもの
植物図鑑
買いもの
投稿
投稿一覧
みどりのまとめ一覧
植物SNS GreenSnap
アテモヤの投稿画像
のりさんのアテモヤの投稿画像
アテモヤ
いいね
10人
がいいね!
シェア
ツイート
投稿の削除
この投稿を削除しますか?
いいえ
はい
のり
2024/10/15
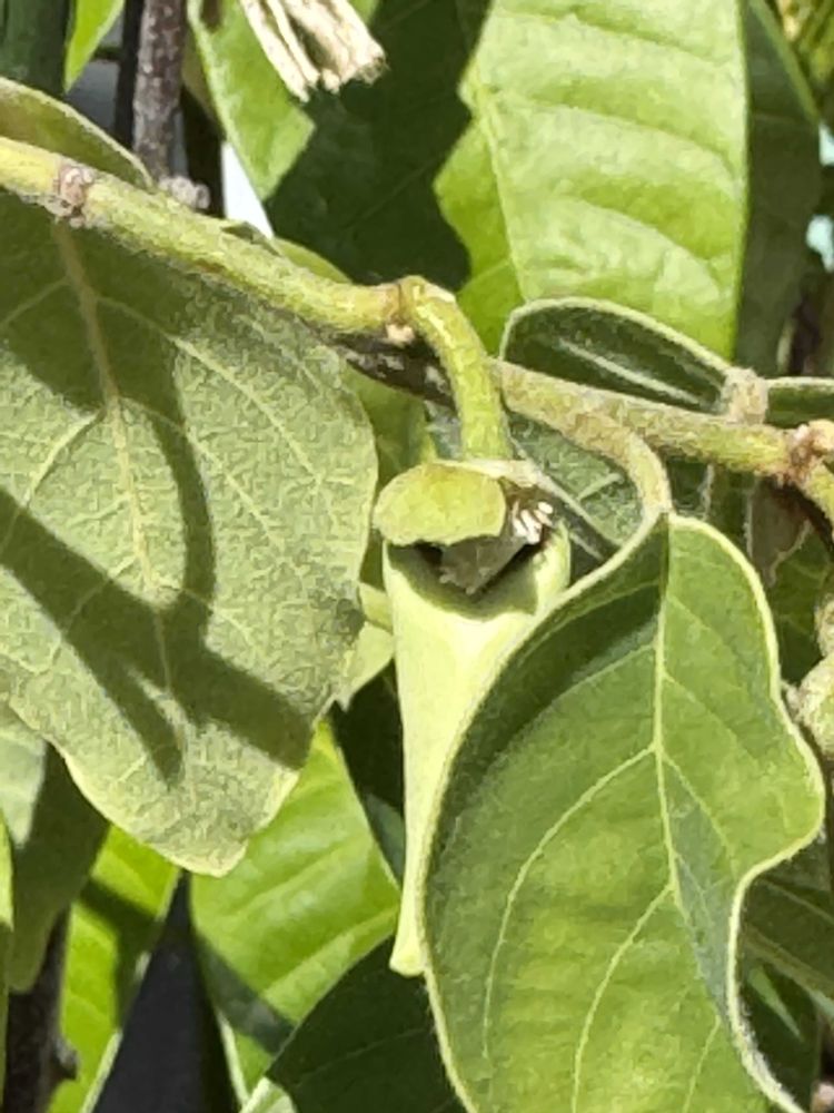
アテモヤを今年買いましたが、花芽がどんどん出てきています。
折角なので、受粉をさせていますが、どれも上手く出来ません。
花びらが少し開いた時点で花びらを折って受粉をさせてますが、上手くいきません。
分かる方がおらせたら、ぜひコツをご教授いただきたく思います。
宜しくお願いします。
投稿する
GreenSnapのおすすめ機能紹介!
【無料で利用できる】写真を撮るだけ!アプリが植物・花の名前を教えてくれる『教えて!カメラ』のご紹介!
開催中のフォトコンテスト
コンテスト一覧
のり
我が家の花達の成長記録です。
植物
アテモヤ
折角なので、受粉をさせていますが、どれも上手く出来ません。
花びらが少し開いた時点で花びらを折って受粉をさせてますが、上手くいきません。
分かる方がおらせたら、ぜひコツをご教授いただきたく思います。
宜しくお願いします。