warning
error
success
information
ログイン
タイムライン
マイアルバム
アカウント設定
注文履歴
ログアウト
カテゴリから探す
観葉植物
多肉植物・サボテン
ガーデニング
花
家庭菜園
ハーブ
植物の栄養・効能
植物の病気・害虫
植物の種類・品種
雑草
野草・山草
読みもの
植物図鑑
買いもの
投稿
投稿一覧
みどりのまとめ一覧
植物SNS GreenSnap
カナムグラ,カナムグラ雌花,カナムグラ雌花の投稿画像
serendipityrumiさんのカナムグラ,カナムグラ雌花,カナムグラ雌花の投稿画像
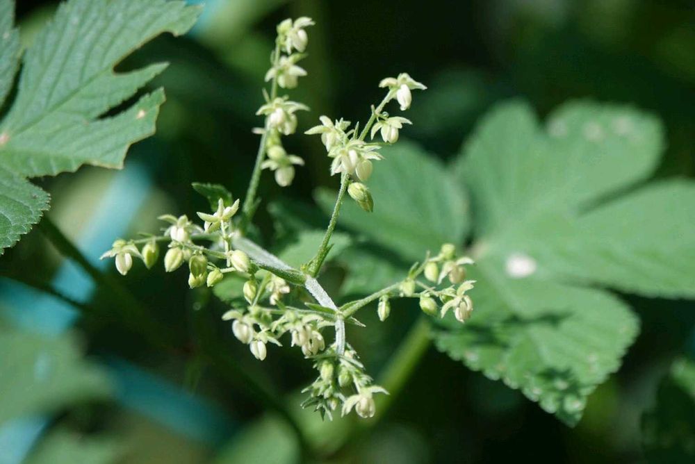
カナムグラ雌花
カナムグラ雌花
カナムグラ雄花
カナムグラ雄花
いいね
73人
がいいね!
シェア
ツイート
投稿の削除
この投稿を削除しますか?
いいえ
はい
serendipityrumi
2024/10/03
カナムグラ
カナムグラが好きです
多分嫌われ者
1、2枚目は雌花
3、4枚目は雄花
雌雄別株です
5枚目はまだ8月の終わり
既に葉を繁らせていました
これから雌花は赤く色付きます
なぜか惹かれるカナムグラ
このムグラが生い茂る庭には
人が通る道すら無かった…
やえむぐら
しげれる宿の 寂しきに
人こそ見えね 秋は来にけり
このヤエムグラはカナムグラの事と言われています。
ムグラは古語で雑草一般の事
この投稿はコメントがオフになっています。
GreenSnapのおすすめ機能紹介!
【無料で利用できる】写真を撮るだけ!アプリが植物・花の名前を教えてくれる『教えて!カメラ』のご紹介!
開催中のフォトコンテスト
コンテスト一覧
serendipityrumi
2025 11月 プロフィールカバーは 11月に咲いた秋桜畑と向日葵 アイコンはノブドウ 何年も投稿されていない方のフォローを外させて頂きました。 始めた頃の投稿タグに今見ると随分間違いを発見します。 過去の投稿ですので追記と記す事無く気付いた時にキャプションを書換え、訂正することがあることを書き添えておきます。 身の回りのお花達に寄せる思いが写真を通して少しでも伝わると嬉しいです。 植物以外、野鳥、虫、風景等も撮り下記にも投稿しています。 Amebablog 「花々と星々と」 アドレスは期間限定らしく直ぐに消えます。ハンドルネームはGSと同じです
植物
カナムグラ
カナムグラ雌花
カナムグラ雌花
カナムグラ雄花
カナムグラ雄花
カナムグラが好きです
多分嫌われ者
1、2枚目は雌花
3、4枚目は雄花
雌雄別株です
5枚目はまだ8月の終わり
既に葉を繁らせていました
これから雌花は赤く色付きます
なぜか惹かれるカナムグラ
このムグラが生い茂る庭には
人が通る道すら無かった…
やえむぐら
しげれる宿の 寂しきに
人こそ見えね 秋は来にけり
このヤエムグラはカナムグラの事と言われています。
ムグラは古語で雑草一般の事