warning
error
success
information
ログイン
タイムライン
マイアルバム
アカウント設定
注文履歴
ログアウト
カテゴリから探す
観葉植物
多肉植物・サボテン
ガーデニング
花
家庭菜園
ハーブ
植物の栄養・効能
植物の病気・害虫
植物の種類・品種
雑草
野草・山草
読みもの
植物図鑑
買いもの
投稿
投稿一覧
みどりのまとめ一覧
植物SNS GreenSnap
カラムシ,おでかけ先,ちっちゃいものクラブの投稿画像
幸せのサラダさんのカラムシ,おでかけ先,ちっちゃいものクラブの投稿画像
いいね
116人
がいいね!
シェア
ツイート
投稿の削除
この投稿を削除しますか?
いいえ
はい
幸せのサラダ
2024/09/23
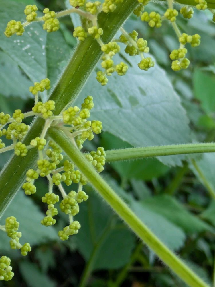
お不動様のところの山の中
花の光を浴びて…
イチョウの葉っぱが空高く
カラムシ…パンパン草
初めて知ったわ😅
この投稿はコメントがオフになっています。
GreenSnapのおすすめ機能紹介!
【無料で利用できる】写真を撮るだけ!アプリが植物・花の名前を教えてくれる『教えて!カメラ』のご紹介!
開催中のフォトコンテスト
コンテスト一覧
幸せのサラダ
小さな花、植物が好き ひっそり佇む…そんな物が好き 花・鳥・動物たち…自然が好き 花はお庭で撮るものがほとんどです😅 変わり映えしない花が並びますが… 飽きずにお付き合い下さい🙏 よろしくお願い致します🌸
キーワード
おでかけ先
ちっちゃいものクラブ
yu &ゆうクラブ
野の花山の花
パンパン草
植物
カラムシ
花の光を浴びて…
イチョウの葉っぱが空高く
カラムシ…パンパン草
初めて知ったわ😅