warning
error
success
information
ログイン
タイムライン
マイアルバム
アカウント設定
注文履歴
ログアウト
カテゴリから探す
観葉植物
多肉植物・サボテン
ガーデニング
花
家庭菜園
ハーブ
植物の栄養・効能
植物の病気・害虫
植物の種類・品種
雑草
野草・山草
読みもの
植物図鑑
買いもの
投稿
投稿一覧
みどりのまとめ一覧
植物SNS GreenSnap
バンレイシ,熱帯果樹,おうちde菜園の投稿画像
mangostanaさんのバンレイシ,熱帯果樹,おうちde菜園の投稿画像
バンレイシ
いいね
44人
がいいね!
シェア
ツイート
投稿の削除
この投稿を削除しますか?
いいえ
はい
mangostana
2024/07/12
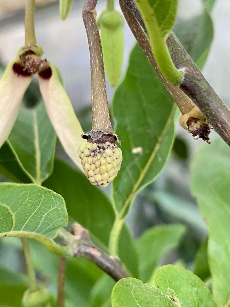
バンレイシ科
ビリバとよく似た地味な花ですが、甘い香りを漂わせて自生地では特定の虫を呼んで受粉をしてもらうのでしょうが、日本にはその虫が居ないので虫の代わりに人工受粉を毎日せっせと行っています。🐝🪲
写真1:バンレイシ(釈迦頭)
写真2、3:レッドアテス(赤釈迦頭)
写真4チェリモヤ
の開花がピークです。
アテモヤの結実がいまいち悪い。
myaon
2024/07/12
こんばんは🐑☾⋆ ̖́-🐰🌕✨
ゾロ目投稿333pic🌸🍃ⓒⓞⓝⓖⓡⓐⓣⓤⓛⓐⓣⓘⓞⓝⓢ 🫧 ͛.*
👏🏻✨👏🏻✨👏🏻✨👏🏻✨👏🏻✨
台湾旅行の時、釈迦頭を買って食べていました✈️懐かしいなぁ✨
いいね
0
返信
mangostana
2024/07/13
@myaon
さん
こんばんは。
ありがとうございます。🤗
ゾロ目⁉️本人は全く気づいて無かったです。
釈迦頭他バンレイシ5鉢は背丈位の株なので各3〜5個位着果させようと毎日受粉真っ最中です。
2月にキールンに1日だけ寄り、キールン夜市辺りをぶらっとしただけなのと季節外れなのか釈迦頭は見なかったですね。
帰りに沖縄の道の駅糸満でアテモヤと釈迦頭があったので買ってきました。
いいね
1
返信
投稿する
GreenSnapのおすすめ機能紹介!
【無料で利用できる】写真を撮るだけ!アプリが植物・花の名前を教えてくれる『教えて!カメラ』のご紹介!
開催中のフォトコンテスト
コンテスト一覧
mangostana
2.6坪の小温室で蘭(食べられないので縮小中)と熱帯植物(特にトロピカルフルーツ)をメインに育てている、やっと毎日が日曜日になった(なってから数年)オッサンです。
キーワード
熱帯果樹
おうちde菜園
植物
バンレイシ
ビリバとよく似た地味な花ですが、甘い香りを漂わせて自生地では特定の虫を呼んで受粉をしてもらうのでしょうが、日本にはその虫が居ないので虫の代わりに人工受粉を毎日せっせと行っています。🐝🪲
写真1:バンレイシ(釈迦頭)
写真2、3:レッドアテス(赤釈迦頭)
写真4チェリモヤ
の開花がピークです。
アテモヤの結実がいまいち悪い。