warning
error
success
information
ログイン
タイムライン
マイアルバム
アカウント設定
注文履歴
ログアウト
カテゴリから探す
観葉植物
多肉植物・サボテン
ガーデニング
花
家庭菜園
ハーブ
植物の栄養・効能
植物の病気・害虫
植物の種類・品種
雑草
野草・山草
読みもの
植物図鑑
買いもの
投稿
投稿一覧
みどりのまとめ一覧
植物SNS GreenSnap
庭,ヤマモモ 実,レモン 小さな実の投稿画像
fumi-sanさんの庭,ヤマモモ 実,レモン 小さな実の投稿画像
ヤマモモ 実
レモン 小さな実
ジューンベリー 実
ラズベリー 実
野いちごプチベリー
いいね
51人
がいいね!
シェア
ツイート
投稿の削除
この投稿を削除しますか?
いいえ
はい
fumi-san
2024/05/15
こんにちは〜
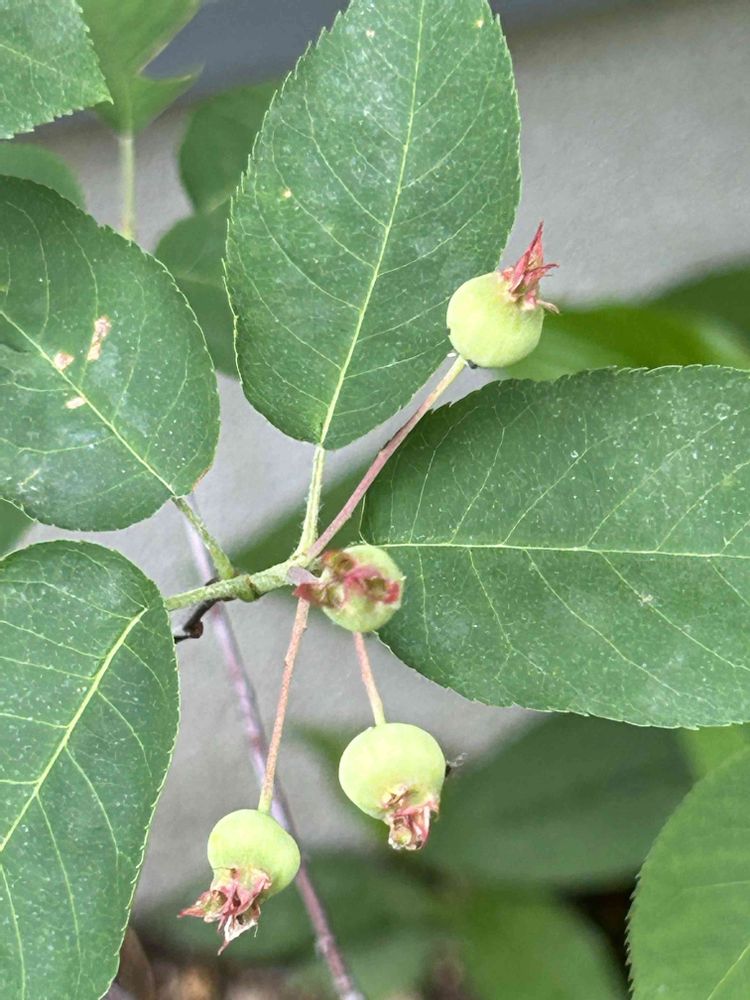
春の花が咲いた後のお楽しみ❣️
❶「ヤマモモ東魁(とうかい)」の実
❷「レモン」の実
❸「ジューンベリー」の実
❹「ラズベリー」の実
❺「野いちご プチベリー」の実
投稿する
GreenSnapのおすすめ機能紹介!
【無料で利用できる】写真を撮るだけ!アプリが植物・花の名前を教えてくれる『教えて!カメラ』のご紹介!
開催中のフォトコンテスト
コンテスト一覧
fumi-san
小さな庭とボランティア花壇で ガーデニングを楽しんでます☘ 貸農園は7年目🍅🍆🌽 沢山のフォローやいいね👍 有難うございます❗️ G.S.5年生(2020.4.28) プロフィール編集の更新が名前に*を入れてると登録できないのでfumi-sanに変更しました😅 これからもよろしくお願いします😊
場所
庭
キーワード
実のなる植物
収穫が楽しみ
癒しの風景
花のある風景
植物
ヤマモモ 実
レモン 小さな実
ジューンベリー 実
ラズベリー 実
野いちごプチベリー
春の花が咲いた後のお楽しみ❣️
❶「ヤマモモ東魁(とうかい)」の実
❷「レモン」の実
❸「ジューンベリー」の実
❹「ラズベリー」の実
❺「野いちご プチベリー」の実