warning
error
success
information
ログイン
タイムライン
マイアルバム
アカウント設定
注文履歴
ログアウト
カテゴリから探す
観葉植物
多肉植物・サボテン
ガーデニング
花
家庭菜園
ハーブ
植物の栄養・効能
植物の病気・害虫
植物の種類・品種
雑草
野草・山草
読みもの
植物図鑑
買いもの
投稿
投稿一覧
みどりのまとめ一覧
植物SNS GreenSnap
ガーデニング
庭づくり
小さな庭
小さな庭,庭の生物の投稿画像
カエルくんさんの小さな庭,庭の生物の投稿画像
いいね
60人
がいいね!
シェア
ツイート
投稿の削除
この投稿を削除しますか?
いいえ
はい
カエルくん
2023/08/17
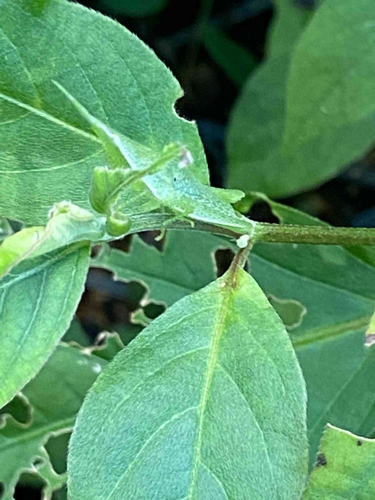
こんばんは🐸♬
先程の答え〜
左下の葉っぱと同化するバッタくん
みよちゃん
2023/08/17
😃🌃今年は、我が家の庭にもバッタが非常によく見かけます。
きゅうりの葉っぱにバッタ ウリハムシがついて穴だらけです。😉👍️🎶🎵
いいね
1
返信
カエルくん
2023/08/18
@みよちゃん
さん
おはようございます😃
そうですね。
カマキリさんをお呼びするのが良いと思います😆
いいね
1
返信
りなはは
2023/08/18
こんにちは😊
見事な隠れ技だね🫶🏻️💞☺︎✌︎ ʘ̅͜ʘ̅💓👍🏻 ́-
いいね
1
返信
カエルくん
2023/08/19
@りなはは
さん
特技だそうです 😌
いいね
1
返信
投稿する
GreenSnapのおすすめ機能紹介!
【無料で利用できる】写真を撮るだけ!アプリが植物・花の名前を教えてくれる『教えて!カメラ』のご紹介!
小さな庭に関連するカテゴリ
広い庭
花壇
シンボルツリー
ウッドデッキ
グランドカバー
グリーンカーテン
エクステリア
テラス
バルコニー/ベランダ
アプローチ
フェンス
軒下
温室
車庫
開催中のフォトコンテスト
コンテスト一覧
カエルくん
いいね フォロー 感謝です。✨ みどりのまとめも最近、トライしてハマリ中。 良かったら覗いてみてください🐸 よろしくお願いします✨ 植物や虫を観察したり育てる事、楽しいです。 ステキな植物たくさんみさせていただきありがとうございます🐸 勝手にフォローしてしまうかもしれません。お許しを♡╰(*´︶`*)╯♡
場所
小さな庭
キーワード
庭の生物
先程の答え〜
左下の葉っぱと同化するバッタくん