warning
error
success
information
ログイン
タイムライン
マイアルバム
アカウント設定
注文履歴
ログアウト
カテゴリから探す
観葉植物
多肉植物・サボテン
ガーデニング
花
家庭菜園
ハーブ
植物の栄養・効能
植物の病気・害虫
植物の種類・品種
雑草
野草・山草
読みもの
植物図鑑
買いもの
投稿
投稿一覧
みどりのまとめ一覧
植物SNS GreenSnap
ガーデニング
庭づくり
小さな庭
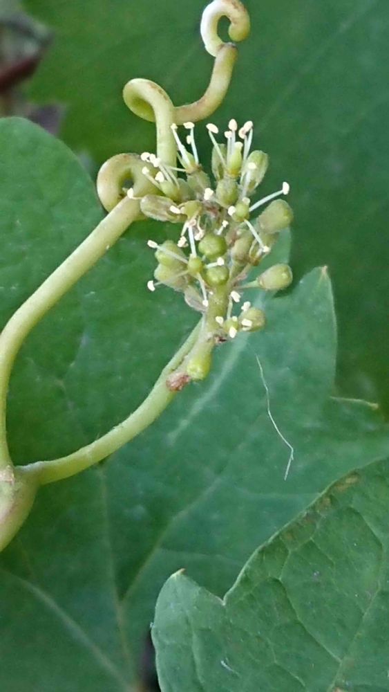
小さな庭,巨峰の花,フルーツの花の投稿画像
薔薇姫さんの小さな庭,巨峰の花,フルーツの花の投稿画像
巨峰の花
いいね
77人
がいいね!
シェア
ツイート
投稿の削除
この投稿を削除しますか?
いいえ
はい
薔薇姫
2023/06/25
巨峰のお花✨地味ですが、これが成長して🍇に成るのでしょう…今年で3年目、やっと見る事が出来ました、美味く出来ます様に🎵💜🍇💫
投稿する
GreenSnapのおすすめ機能紹介!
【無料で利用できる】写真を撮るだけ!アプリが植物・花の名前を教えてくれる『教えて!カメラ』のご紹介!
小さな庭に関連するカテゴリ
広い庭
花壇
シンボルツリー
ウッドデッキ
グランドカバー
グリーンカーテン
エクステリア
テラス
バルコニー/ベランダ
アプローチ
フェンス
軒下
温室
車庫
開催中のフォトコンテスト
コンテスト一覧
薔薇姫
小さなお庭ですが、種類多く植えています。春から、薔薇が咲くのが楽しみです。和風と 洋風のお花を、植えています💠沢山のいいね👍ありがとうございます🎵 お部屋から眺めるガーデンを心掛けています🎵 GS🔰宜しくお願いします🙇
場所
小さな庭
キーワード
フルーツの花
巨峰みたい
チーム福岡
巨峰成長
鉢植え巨峰
フルーツの鉢植え
フルーツの花*
*葡萄(巨峰の赤ちゃん)❤️
植物
巨峰の花