warning
error
success
information
ログイン
タイムライン
マイアルバム
アカウント設定
注文履歴
ログアウト
カテゴリから探す
観葉植物
多肉植物・サボテン
ガーデニング
花
家庭菜園
ハーブ
植物の栄養・効能
植物の病気・害虫
植物の種類・品種
雑草
野草・山草
読みもの
植物図鑑
買いもの
投稿
投稿一覧
みどりのまとめ一覧
植物SNS GreenSnap
リスボンレモン,果実,小さな実の投稿画像
kopeloさんのリスボンレモン,果実,小さな実の投稿画像
リスボンレモン
いいね
29人
がいいね!
シェア
ツイート
投稿の削除
この投稿を削除しますか?
いいえ
はい
kopelo
2023/06/04
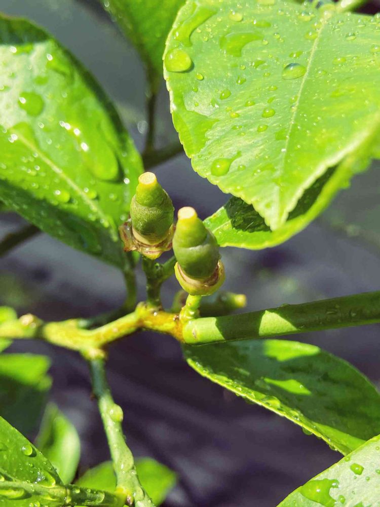
子供の記念樹のリスボンレモン
お花たくさん咲いてくれて
終わったところに
小さな実が膨らんできている✨✨
摘果のやり方とか調べないとね🍋
投稿する
GreenSnapのおすすめ機能紹介!
【無料で利用できる】写真を撮るだけ!アプリが植物・花の名前を教えてくれる『教えて!カメラ』のご紹介!
開催中のフォトコンテスト
コンテスト一覧
kopelo
毎日グリーンに癒されてます🌱 まん丸、フワフワ、カクカク、 トゲトゲ、ギザギザ 変わった植物に目を奪われます🌿 オージープランツ、多肉植物、着生植物 宿根草、多年草、植えっぱなし球根 シルバーリーフ プラチナリーフ ブルーグリーン 黒葉 銅葉 白いお花が大好きです❤︎
キーワード
果実
小さな実
果樹
記念樹
植物
リスボンレモン
お花たくさん咲いてくれて
終わったところに
小さな実が膨らんできている✨✨
摘果のやり方とか調べないとね🍋