warning
error
success
information
ログイン
タイムライン
マイアルバム
アカウント設定
注文履歴
ログアウト
カテゴリから探す
観葉植物
多肉植物・サボテン
ガーデニング
花
家庭菜園
ハーブ
植物の栄養・効能
植物の病気・害虫
植物の種類・品種
雑草
野草・山草
読みもの
植物図鑑
買いもの
投稿
投稿一覧
みどりのまとめ一覧
植物SNS GreenSnap
ガーデニング
庭づくり
小さな庭
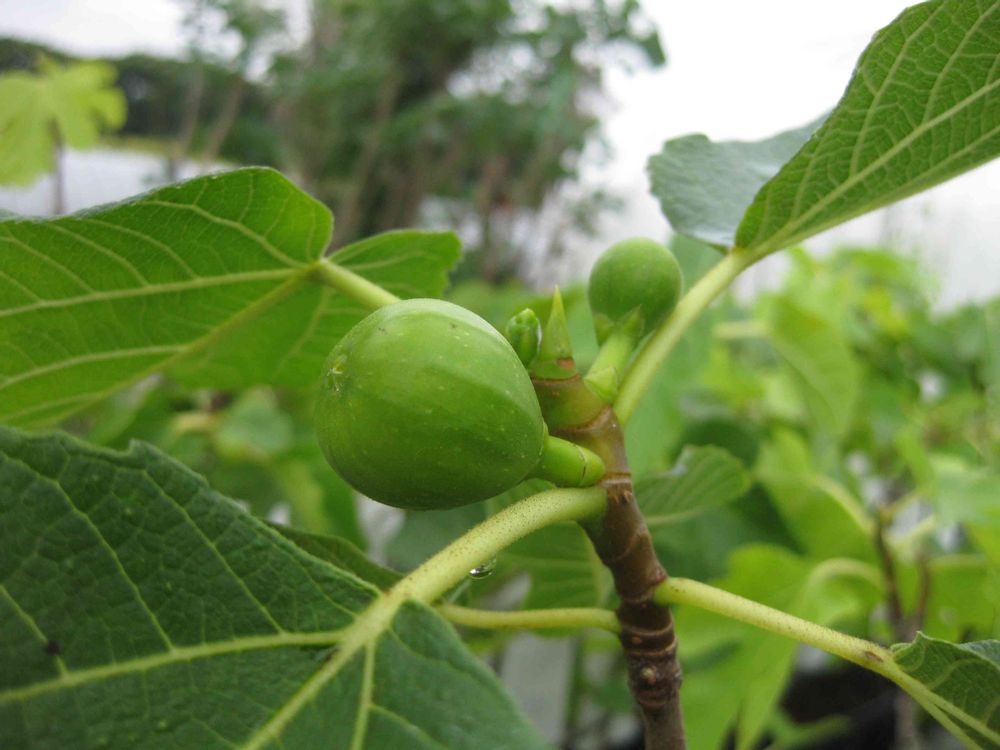
小さな庭,ブログ更新,イチヂクの実の投稿画像
e直売所さんの小さな庭,ブログ更新,イチヂクの実の投稿画像
いいね
6人
がいいね!
シェア
ツイート
投稿の削除
この投稿を削除しますか?
いいえ
はい
e直売所
2018/06/06
イチヂクの実、かわいい^m^
ブログを更新しました(^^)/
投稿する
GreenSnapのおすすめ機能紹介!
【無料で利用できる】写真を撮るだけ!アプリが植物・花の名前を教えてくれる『教えて!カメラ』のご紹介!
小さな庭に関連するカテゴリ
広い庭
花壇
シンボルツリー
ウッドデッキ
グランドカバー
グリーンカーテン
エクステリア
テラス
バルコニー/ベランダ
アプローチ
フェンス
軒下
温室
車庫
開催中のフォトコンテスト
コンテスト一覧
e直売所
九州から元気なレモン苗等をお届けしています! ゆるゆるとブログ更新しています(^^)/ レモン苗以外の果樹苗をお探しの際も是非ご相談ください。
場所
小さな庭
キーワード
ブログ更新
イチヂクの実
ブログを更新しました(^^)/