warning
error
success
information
ログイン
タイムライン
マイアルバム
アカウント設定
注文履歴
ログアウト
カテゴリから探す
観葉植物
多肉植物・サボテン
ガーデニング
花
家庭菜園
ハーブ
植物の栄養・効能
植物の病気・害虫
植物の種類・品種
雑草
野草・山草
読みもの
植物図鑑
買いもの
投稿
投稿一覧
みどりのまとめ一覧
植物SNS GreenSnap
イチジク鉢植えの投稿画像
ティナさんのイチジク鉢植えの投稿画像
いいね
50人
がいいね!
シェア
ツイート
投稿の削除
この投稿を削除しますか?
いいえ
はい
ティナ
2022/08/30
8/30 購入から5週
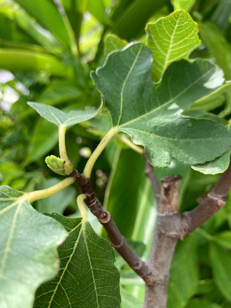
イチジクホワイトゼノア
植え替え後、まっったく動きのなかったホワイトゼノア
葉が大きくなるでも無く
芽が膨らむでも枯れるでも無く
水をやってもいつまでも鉢土が乾かず
購入時の姿そのまま、変化なし
そのホワイトゼノアに遂に動きが!
これは根付いてくれたと言う事でいいのだろうか
沖縄はどうやら明後日頃から台風らしい
本島直撃は免れそうだが対策は必要だろう
まだ小さな苗木ばかりだから良いのだが、来年大きく育った果樹の対策はどうすれば良いのだろうか 考えておく必要もありそうだ
投稿する
GreenSnapのおすすめ機能紹介!
【無料で利用できる】写真を撮るだけ!アプリが植物・花の名前を教えてくれる『教えて!カメラ』のご紹介!
開催中のフォトコンテスト
コンテスト一覧
ティナ
沖縄の日当たり悪い庭と夏場に強烈な西日の当たる花壇で収穫目指して模索中
キーワード
イチジク鉢植え
イチジクホワイトゼノア
植え替え後、まっったく動きのなかったホワイトゼノア
葉が大きくなるでも無く
芽が膨らむでも枯れるでも無く
水をやってもいつまでも鉢土が乾かず
購入時の姿そのまま、変化なし
そのホワイトゼノアに遂に動きが!
これは根付いてくれたと言う事でいいのだろうか
沖縄はどうやら明後日頃から台風らしい
本島直撃は免れそうだが対策は必要だろう
まだ小さな苗木ばかりだから良いのだが、来年大きく育った果樹の対策はどうすれば良いのだろうか 考えておく必要もありそうだ