warning
error
success
information
ログイン
タイムライン
マイアルバム
アカウント設定
注文履歴
ログアウト
カテゴリから探す
観葉植物
多肉植物・サボテン
ガーデニング
花
家庭菜園
ハーブ
植物の栄養・効能
植物の病気・害虫
植物の種類・品種
雑草
野草・山草
読みもの
植物図鑑
買いもの
投稿
投稿一覧
みどりのまとめ一覧
植物SNS GreenSnap
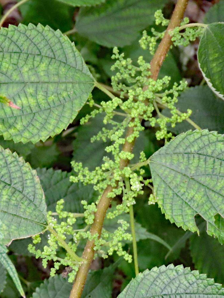
カラムシの投稿画像
フクチャンさんのカラムシの投稿画像
カラムシ
いいね
1人
がいいね!
シェア
ツイート
投稿の削除
この投稿を削除しますか?
いいえ
はい
フクチャン
2022/08/04
投稿する
GreenSnapのおすすめ機能紹介!
【無料で利用できる】写真を撮るだけ!アプリが植物・花の名前を教えてくれる『教えて!カメラ』のご紹介!
開催中のフォトコンテスト
コンテスト一覧
フクチャン
年齢は70台の後半です。 通っているリハビリ施設に、撮った写真を、昔懐かしいOLDIESの曲入りのスライドショーDVDにして提供して、曲を楽しみながらリハビリ体操をしています。 写真の対象は、自宅マンションのベランダからの富士山(笠雲中心)、夕焼け、雲、虹、植物(花、葉、果実、種等色々)、野鳥、昆虫等、街角のスナップ、野良猫、愛敬のプードル、趣味の木工やレザークラフトの作品等色々です。 花等の撮影は、体が不自由なので、主に愛犬の散歩の時ですが、一日に10枚~200枚位撮り、パソコンでトリミングや色の補正をするので、平均すると一日に5時間位費やしています。 ボケ防止のために花の名前は入れていなかったのですが、皆さんから名前を入れて欲しいとの要望で、花や雑草の本を買い、またパソコンで検索していたのですが、中々判らないので、このサイトを知り、お世話になることにしました。 お陰様で大変助かっています。 これからも宜しくお願いいたしますm(_ _)m
植物
カラムシ