warning
error
success
information
ログイン
タイムライン
マイアルバム
アカウント設定
注文履歴
ログアウト
カテゴリから探す
観葉植物
多肉植物・サボテン
ガーデニング
花
家庭菜園
ハーブ
植物の栄養・効能
植物の病気・害虫
植物の種類・品種
雑草
野草・山草
読みもの
植物図鑑
買いもの
投稿
投稿一覧
みどりのまとめ一覧
植物SNS GreenSnap
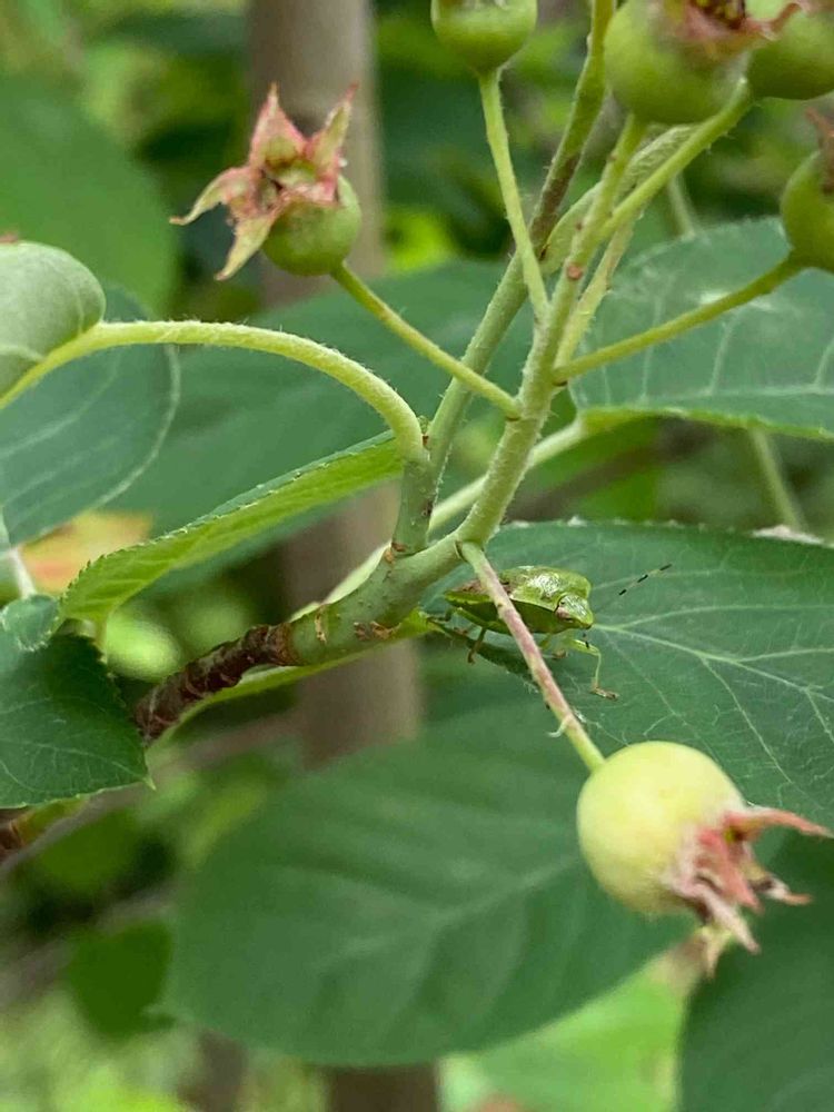
カメムシ,ジューンベリーの実の投稿画像
凜蛍詩月さんのカメムシ,ジューンベリーの実の投稿画像
カメムシ
ジューンベリーの実
いいね
25人
がいいね!
シェア
ツイート
投稿の削除
この投稿を削除しますか?
いいえ
はい
凜蛍詩月
2022/05/15
カメムシさん多数発見💦申し訳ない子供らが楽しみにしてるので駆除させてもらいました🙏
投稿する
GreenSnapのおすすめ機能紹介!
【無料で利用できる】写真を撮るだけ!アプリが植物・花の名前を教えてくれる『教えて!カメラ』のご紹介!
開催中のフォトコンテスト
コンテスト一覧
凜蛍詩月
めっちゃ気まぐれです。 ノリでいいねしてまいます。 寄せ植え考えるのが、好きです。 DIYも好きですが、 思い立ったが吉日です。 こんなん続いたらー理想です(^^)
植物
カメムシ
ジューンベリーの実