warning
error
success
information
ログイン
タイムライン
マイアルバム
アカウント設定
注文履歴
ログアウト
カテゴリから探す
観葉植物
多肉植物・サボテン
ガーデニング
花
家庭菜園
ハーブ
植物の栄養・効能
植物の病気・害虫
植物の種類・品種
雑草
野草・山草
読みもの
植物図鑑
買いもの
投稿
投稿一覧
みどりのまとめ一覧
植物SNS GreenSnap
ガーデニング
お出かけレポート
お出かけ先,カラムシの投稿画像
きぬさんのお出かけ先,カラムシの投稿画像
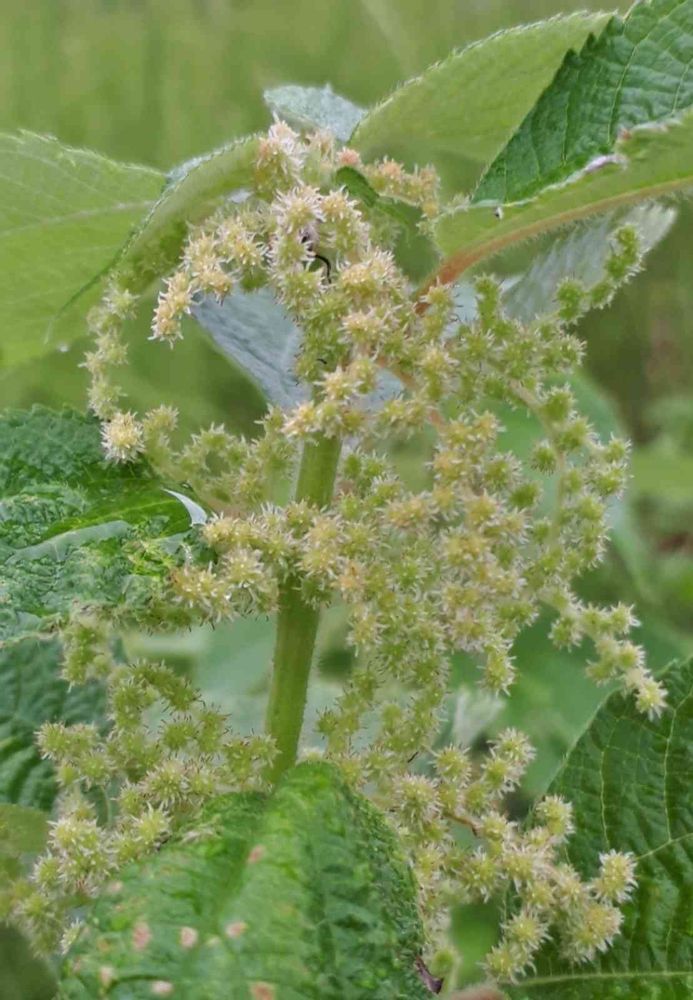
カラムシ
いいね
48人
がいいね!
シェア
ツイート
投稿の削除
この投稿を削除しますか?
いいえ
はい
きぬ
2021/09/15
花❔実❔…🤔…
散歩道…
カラムシと教えて頂きました😊
きぬ
2021/09/16
[@id:2215568] さん…ありがとうです😌💓…カラムシみたいです😆
いいね
0
返信
投稿する
GreenSnapのおすすめ機能紹介!
【無料で利用できる】写真を撮るだけ!アプリが植物・花の名前を教えてくれる『教えて!カメラ』のご紹介!
お出かけレポートに関連するカテゴリ
ガーデニング初心者
園芸
アレンジ
DIY・ハンドメイド
ガーデニング雑貨
ガーデニング用品
ガーデン・庭の参考
庭づくり
造園
芝生
雑草
害虫
ガーデニングの通販
成長記録
開催中のフォトコンテスト
コンテスト一覧
お出かけレポートのみどりのまとめ
32
2025/12/17
🖼️大阪市立美術館イタリア館の至宝🖼️
関西万博で見れなかったイタリア館のリベンジです😊
35
2025/12/17
NO129 2025年 秋田国際ダリア園
撮影🤳 11月2日 秋田国際ダリア園 めぐみちゃん*ϋ*とかほちゃん*ϋ*をお迎えして
91
2025/12/16
相模国一之宮寒川神社参拝2025
12月10日、神奈川県の寒川神社に久しぶりに参拝しました。 八方除の祈祷を上げていただき、社殿の裏手に広がる「神嶽山神苑(かんだけやましんえん)」を見学しました。2年前にも行ったんですが、何と同じ12月でした💦今回は、紅葉は終わり間近でした🍁
きぬ
場所
お出かけ先
植物
カラムシ
散歩道…
カラムシと教えて頂きました😊