warning
error
success
information
ログイン
タイムライン
マイアルバム
アカウント設定
注文履歴
ログアウト
カテゴリから探す
観葉植物
多肉植物・サボテン
ガーデニング
花
家庭菜園
ハーブ
植物の栄養・効能
植物の病気・害虫
植物の種類・品種
雑草
野草・山草
読みもの
植物図鑑
買いもの
投稿
投稿一覧
みどりのまとめ一覧
植物SNS GreenSnap
ガーデニング
お出かけレポート
お出かけ先,アレチウリ,花いろいろの投稿画像
さくらプラスさんのお出かけ先,アレチウリ,花いろいろの投稿画像
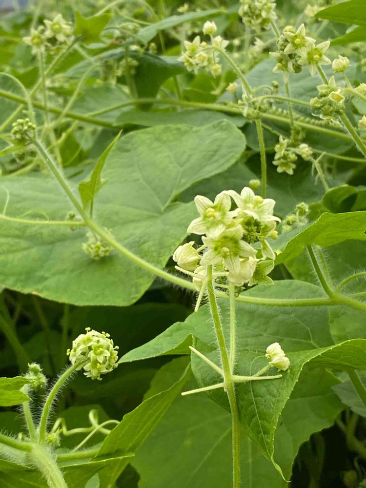
アレチウリ
いいね
25人
がいいね!
シェア
ツイート
投稿の削除
この投稿を削除しますか?
いいえ
はい
さくらプラス
2021/09/14
アレチウリ。
久しぶりの散歩、川土手は右も左も下も、全てアレチウリに布団をかけたように覆われています。
クズの蔓がせめぎ合い最終合戦か共存か?アメーバのように覆い尽くされ、他の植物は低木さえ生きられません💦
目前まではびこってるから見える、思いの他可愛い、雄花、手毬のような雌花、トゲトゲみたいな実。
北米原産、特定外来生物、日本の侵略的外来種ワースト100選定種。
投稿する
GreenSnapのおすすめ機能紹介!
【無料で利用できる】写真を撮るだけ!アプリが植物・花の名前を教えてくれる『教えて!カメラ』のご紹介!
お出かけレポートに関連するカテゴリ
ガーデニング初心者
園芸
アレンジ
DIY・ハンドメイド
ガーデニング雑貨
ガーデニング用品
ガーデン・庭の参考
庭づくり
造園
芝生
雑草
害虫
ガーデニングの通販
成長記録
開催中のフォトコンテスト
コンテスト一覧
お出かけレポートのみどりのまとめ
50
2025/12/17
🖼️大阪市立美術館イタリア館の至宝🖼️
関西万博で見れなかったイタリア館のリベンジです😊
43
2025/12/17
NO129 2025年 秋田国際ダリア園
撮影🤳 11月2日 秋田国際ダリア園 めぐみちゃん*ϋ*とかほちゃん*ϋ*をお迎えして
92
2025/12/16
相模国一之宮寒川神社参拝2025
12月10日、神奈川県の寒川神社に久しぶりに参拝しました。 八方除の祈祷を上げていただき、社殿の裏手に広がる「神嶽山神苑(かんだけやましんえん)」を見学しました。2年前にも行ったんですが、何と同じ12月でした💦今回は、紅葉は終わり間近でした🍁
さくらプラス
GS.2021.7.31日から始めました^ ^ 庭、畑の植物、身近な野草を知るメモ代わり投稿です^ ^目の状態悪く、いいね投稿あまり出来ずすみません😆 同じ植物好きさんに感謝です^ ^いいねやフォローもありがとうございます😊 我家の庭の花木植物は、屋外植えっぱなしが基本の植物達ですが種から育てるのも好きです^ ^ 宜しくお願いします^ ^
場所
お出かけ先
キーワード
花いろいろ
植物
アレチウリ
久しぶりの散歩、川土手は右も左も下も、全てアレチウリに布団をかけたように覆われています。
クズの蔓がせめぎ合い最終合戦か共存か?アメーバのように覆い尽くされ、他の植物は低木さえ生きられません💦
目前まではびこってるから見える、思いの他可愛い、雄花、手毬のような雌花、トゲトゲみたいな実。
北米原産、特定外来生物、日本の侵略的外来種ワースト100選定種。