warning
error
success
information
ログイン
タイムライン
マイアルバム
アカウント設定
注文履歴
ログアウト
カテゴリから探す
観葉植物
多肉植物・サボテン
ガーデニング
花
家庭菜園
ハーブ
植物の栄養・効能
植物の病気・害虫
植物の種類・品種
雑草
野草・山草
読みもの
植物図鑑
買いもの
投稿
投稿一覧
みどりのまとめ一覧
植物SNS GreenSnap
ムカゴイラクサの投稿画像
もちっこさんのムカゴイラクサの投稿画像
ムカゴイラクサ
いいね
24人
がいいね!
シェア
ツイート
投稿の削除
この投稿を削除しますか?
いいえ
はい
もちっこ
2021/08/14
8月3日撮影 都立薬用植物園
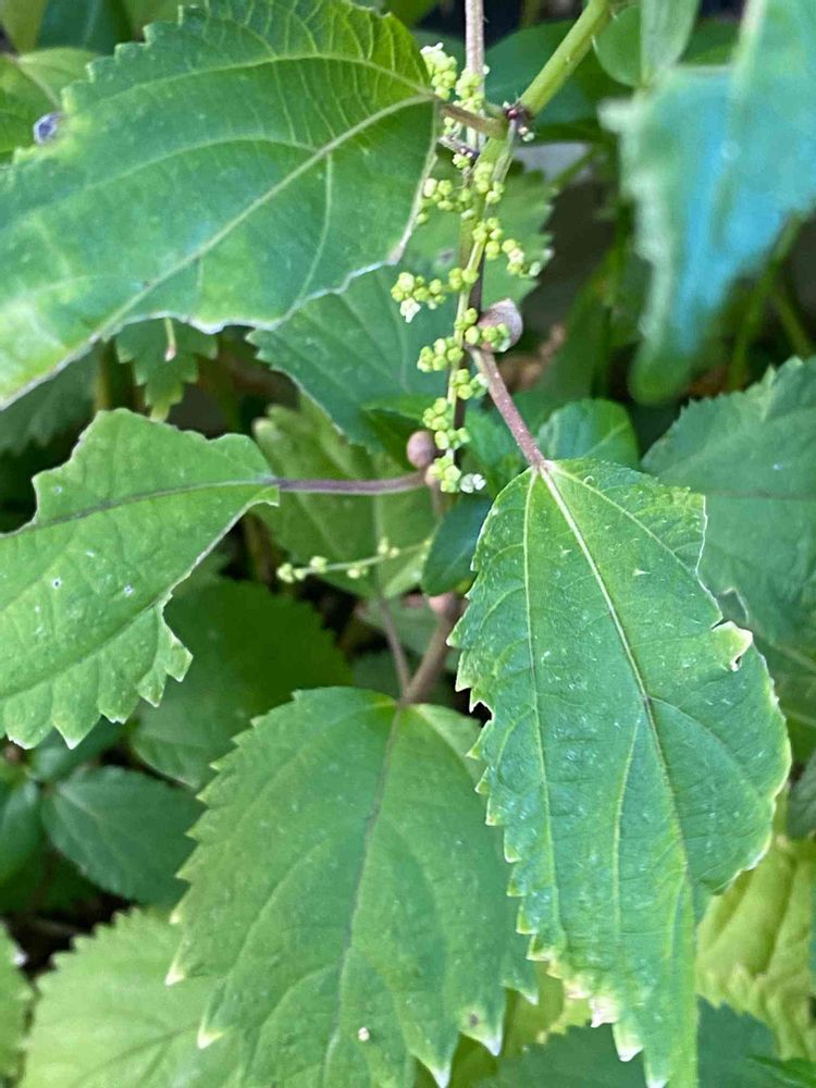
ムカゴイラクサ
イラクサ科ムカゴイラクサ属
大きな札が立っていて、そこには赤、黒、黄色で
「さわらないで❗️
さわると刺されます。
有毒なトゲにご注意ください」
と書いてありました。
イラクサに似ていて、葉腋にむかごをつけることからこの名がある。
山地の陰湿地に生える雌雄同株の多年草で、高さ40-80cmになる。根は紡錘状に肥厚する。
同属のミヤマイラクサと同じく、茎や葉、葉柄には触ると痛い刺毛があるがミヤマイラクサよりだいぶ少ない。葉腋に直径約5mmのむかごをつけるのが大きな特徴。ミヤマイラクサほど認知されていないが山菜としても利用される。むかごも食べられる。
葉は長い柄があって互生し、長さ5-15cm、幅3-6cmの狭卵形~卵状楕円形で基部は円形~鈍形、先はとがり、縁に粗く低い同形の鋸歯がある。刺毛が散生し表面に細点がある。
雄花序は無柄で下方の葉腋から長さ4-7cmの円錐状に垂れ下がるように、雌花序は長さ4-7cmで茎の頂部の葉腋から直立してつく。雄花の花被片は4-5個で雄しべも同数。雌花の花被片は4個で、2片は花後長さ2.5cmほどに増大し、痩果と同じ長さになり、痩果を包む。柱頭は長い線形で白色。
痩果は先がくぼんだ卵円形で長さ2.5-3mm。
(素人植物図鑑 より)
茎にトゲがあるのは見えると思うのですが、葉の表面にもあるのがわかりますか?
ここに付いているのは雄花序。雌花序は見つけられませんでした😅
Q-s
2021/08/15
「触ると刺されます」
能動的に刺しにくるような危険なやつですか?😁😁😁
切れやすいタイプ😄
こう書かれると触ってみたくなりますね👻
そういえば?、カラスウリの干からびた実がなってたのを手に取ったら、いきなり弾けて中の種が服にいっぱい付いて大変だったことを思い出しました😁😁😁
Q
いいね
2
返信
もちっこ
2021/08/15
@Q-s
さん
おはようございます!
あはは!そういえばそうですね。
本当なら〝刺さります〟…ですかね?
黄色い三角の中に!の「危険」のアイコンまでありました。
ここは薬用園だからなのでしょうか?
いろいろなところに
「トリカブト」との違い…(似ている花など、これとトリカブトを間違えないで…といった意味の)などの写真付きの札がたくさん立っています。「有毒植物コーナー」などもあるんですよ。
カラスウリ、そうなんですか!?知らなかったです😳
ゴーヤ(ツルレイシ)はありますね!
黄色くなった実を触って中からショッキングピンクの種が出てくることが😆
初めて見たときは衝撃でした🤣
いいね
2
返信
Q-s
2021/08/15
@もちっこ
さん
薬用園のサイト見てみました。
時々滞在する横浜から1.5時間くらいかかりそうですが行けなくもないですね😁
いずれ機会あれば🕺🕺🕺
4:30閉園。。。半休で駆けつけたんですか?
好きですねぇ〜😄
Qは久しぶりのお休み😊
ノンビリ走ってきます。
Q
いいね
1
返信
もちっこ
2021/08/15
@Q-s
さん
おおお!調べられましたか!
Qさま、横浜にお住まいかと思いましたら、横浜も滞在地でしたか!
全国飛び歩かれていらっしゃいます?
わたしの職場は時間で休暇が取れますので
半休しなくても行かれるんです😆
そして入園無料なんです。
行ったらコロナの影響で臨時休園していても、月曜であることを忘れて休園日でも、がっくりきますが駅近なので(帰りに寄れるので)「また今度来よう!」と思えます。わたしの場合。
薬用植物園、コンパクトでよいところですが
せっかくおいでになるなら
小石川植物園はご存知で?
小石川養生所及び御薬園跡です。
(東京大学大学院理学系研究科附属植物園)
こちらは広くて起伏に富んだ場所なので
見がいがありますよー。横浜からも近いかも?
(入園料はかかりますが)
いいね
1
返信
Q-s
2021/08/15
@もちっこ
さん
了解🕺🕺🕺
小石川 メモメモ😁😁😁
トトロは遠いんですか?
ちょっと走ってきました♪
風呂に入ってお昼ご飯に出かけます。
と言っても岩手も独自の緊急事態宣言が出てて、ホテルの近場で済ませます😭
いいね
1
返信
もちっこ
2021/08/15
@Q-s
さん
おおお!健康的!
走ってきたということは、お天気は大丈夫なのですね?どうぞお気をつけてー。
トトロの森ですか?
ナショナルトラストのトトロの森は、Wikipediaによれば55号地まであって、まあまあ家から距離はあるんですが、
わたしがよく行っているトトロの森は市が保護樹林に指定して管理しているようです。近くにあるから《トトロの森》って付けちゃった…みたいな場所で、徒歩で行けるんですよ。
わたしが通っているところは「なんちゃって」ですが、ナショナルトラストの方は本格的に保護されています。
「となりのトトロ」のモデルになったところなので。
宮崎駿さんはこだわりのある方なので、背景の絵にもダメ出しがあったようです。きちんと季節の植物が描かれていますし、関東ローム層だからと、地面も赤土なのですって!
いいね
1
返信
Q-s
2021/08/15
@もちっこ
さん
北上川沿いにノンビリ走ってきました🏃🏃🏃
風が涼しく、サイコーです。
ナルホドその辺りですね!
奥多摩、奥秩父はいくつか登ったことあります。その当時は、花にさほど目もくれず、ピークを目指してましたが😁😁😁
去年、高尾山に行けたので、問題なく行けそうですね😁😁😁
いずれ機会を見つけて😄
Q
いいね
1
返信
もちっこ
2021/08/15
@Q-s
さん
北上川!!
良いなあ!どのあたりでしょう?
岩手も良いですね。
先月、宮城に行きましたがとても良かったです。
奥多摩、秩父もいらしたことがあるんですか?
あの辺りも良いでしょう。
わたしは最近山は全然行っていなくて…。
体力づくりから始めなければです。
わたしも山歩きをしている頃は花の名前など全然知りませんでした😆
また行かれると良いなあ。
走るのは難しいのでたくさん歩きますよー😤
いいね
1
返信
Q-s
2021/08/15
@もちっこ
さん
最近ですと、去年の2/11 高尾山です😁😁😁
お時間のある時にご覧ください👻👻👻
Q
いいね
0
返信
投稿する
GreenSnapのおすすめ機能紹介!
【無料で利用できる】写真を撮るだけ!アプリが植物・花の名前を教えてくれる『教えて!カメラ』のご紹介!
開催中のフォトコンテスト
コンテスト一覧
もちっこ
花の名前を覚えたいと思って始めました。 何事にも時間がかかるのんびりやなので、コメントをいただくのは嬉しいのですが、すぐに返信できず、流れてしまうことがあるようです。 失礼がありましたらお許しください。 お返事してなかったー!と気付いて ものすごく経ってから突然お返事することがあるかもしれませんのでビックリしないでくださいね。 と、いう状態ですので お返しの「いいね」などはどうかお気になさらずに…。
植物
ムカゴイラクサ
ムカゴイラクサ
イラクサ科ムカゴイラクサ属
大きな札が立っていて、そこには赤、黒、黄色で
「さわらないで❗️
さわると刺されます。
有毒なトゲにご注意ください」
と書いてありました。
イラクサに似ていて、葉腋にむかごをつけることからこの名がある。
山地の陰湿地に生える雌雄同株の多年草で、高さ40-80cmになる。根は紡錘状に肥厚する。
同属のミヤマイラクサと同じく、茎や葉、葉柄には触ると痛い刺毛があるがミヤマイラクサよりだいぶ少ない。葉腋に直径約5mmのむかごをつけるのが大きな特徴。ミヤマイラクサほど認知されていないが山菜としても利用される。むかごも食べられる。
葉は長い柄があって互生し、長さ5-15cm、幅3-6cmの狭卵形~卵状楕円形で基部は円形~鈍形、先はとがり、縁に粗く低い同形の鋸歯がある。刺毛が散生し表面に細点がある。
雄花序は無柄で下方の葉腋から長さ4-7cmの円錐状に垂れ下がるように、雌花序は長さ4-7cmで茎の頂部の葉腋から直立してつく。雄花の花被片は4-5個で雄しべも同数。雌花の花被片は4個で、2片は花後長さ2.5cmほどに増大し、痩果と同じ長さになり、痩果を包む。柱頭は長い線形で白色。
痩果は先がくぼんだ卵円形で長さ2.5-3mm。
(素人植物図鑑 より)
茎にトゲがあるのは見えると思うのですが、葉の表面にもあるのがわかりますか?
ここに付いているのは雄花序。雌花序は見つけられませんでした😅