warning
error
success
information
ログイン
タイムライン
マイアルバム
アカウント設定
注文履歴
ログアウト
カテゴリから探す
観葉植物
多肉植物・サボテン
ガーデニング
花
家庭菜園
ハーブ
植物の栄養・効能
植物の病気・害虫
植物の種類・品種
雑草
野草・山草
読みもの
植物図鑑
買いもの
投稿
投稿一覧
みどりのまとめ一覧
植物SNS GreenSnap
家庭菜園
収穫物
畑
畑,北海道,北海道の景色の投稿画像
charkunさんの畑,北海道,北海道の景色の投稿画像
いいね
45人
がいいね!
シェア
ツイート
投稿の削除
この投稿を削除しますか?
いいえ
はい
charkun
2021/05/28
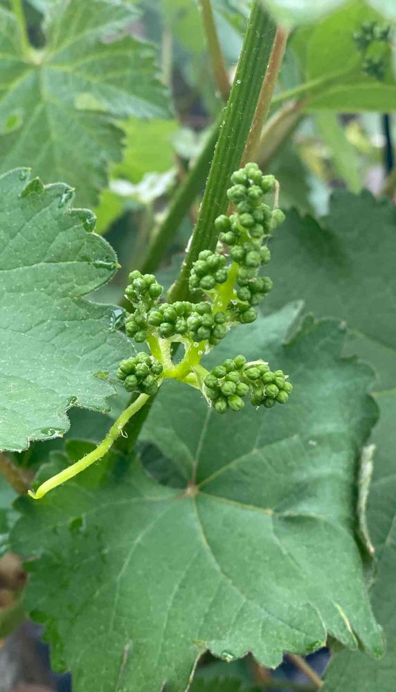
ぶどう🍇の蕾
遅くなりましたが
🏷金曜日の蕾たちに 参加させて頂きます💓
毎年 ぶどう🍇が なっているのに
蕾は 初めて見ました👀
お花も 見た事がないので 見てみたいと思います🤗
実家のハウスにて📱
5月25日pic
わーちゃん
2021/05/30
ブドウの蕾ってこんなんなんですね(*´꒳`*)
いいね
1
返信
charkun
2021/05/30
@わーちゃん
♡
お花🌸も 咲くみたいですよー!
ちゃんと見た事 なかったのーー😅😅
咲いたら また 投稿してみますね💓
いいね
1
返信
わーちゃん
2021/05/31
@charkun
さん
わーいヽ(=´▽`=)ノ
楽しみにしてまーす💕
いいね
1
返信
投稿する
GreenSnapのおすすめ機能紹介!
【無料で利用できる】写真を撮るだけ!アプリが植物・花の名前を教えてくれる『教えて!カメラ』のご紹介!
畑に関連するカテゴリ
ベランダ
トマト
キュウリ
ナス
開催中のフォトコンテスト
コンテスト一覧
畑の関連コラム
PR
2021.02.05
カインズが提案するひとコマ菜園とは?
畑の関連コラムをもっとみる
charkun
2020.6〜主に、実家の父がお世話してるお花や家庭菜園 自宅 職場の庭 お出かけ先などを、投稿しています。 皆さんの素敵な投稿に癒され、皆さんの植物愛に、感動しています🤗 家業の為 12時間位 職場にいるので、コメントが 遅くなったり まとめて良いね をご理解ください💕 耐寒性ゾーン 6a になります😆 iPhone📱撮影 コラージュはしますが、写真そのものは 加工していません。
場所
畑
キーワード
北海道
北海道の景色
ぶどう♡
金曜日の蕾たち
遅くなりましたが
🏷金曜日の蕾たちに 参加させて頂きます💓
毎年 ぶどう🍇が なっているのに
蕾は 初めて見ました👀
お花も 見た事がないので 見てみたいと思います🤗
実家のハウスにて📱
5月25日pic